Hollywood Burbank Airport
Hollywood Burbank Airport Bob Hope Airport | |||||||||||||||
|---|---|---|---|---|---|---|---|---|---|---|---|---|---|---|---|
![]() | |||||||||||||||
![]() Hollywood Burbank Airport, looking north, May 2018 | |||||||||||||||
| Summary | |||||||||||||||
| Airport type | Public | ||||||||||||||
| Owner/Operator | Burbank–Glendale–Pasadena Airport Authority | ||||||||||||||
| Serves | Northern Greater Los Angeles area | ||||||||||||||
| Location | Burbank, California, U.S. | ||||||||||||||
| Opened | May 30, 1930 | ||||||||||||||
| Operating base for |
| ||||||||||||||
| Elevation AMSL | 778 ft / 237 m | ||||||||||||||
| Coordinates | 34°12′02″N 118°21′31″W / 34.20056°N 118.35861°W | ||||||||||||||
| Website | www | ||||||||||||||
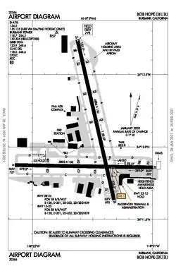
| Maps | |||||||||||||||
![]() FAA airport diagram as of January 2021 | |||||||||||||||
| Runways | |||||||||||||||
| |||||||||||||||
| Statistics (2024) | |||||||||||||||
| |||||||||||||||
Source: Hollywood Burbank Airport[4] | |||||||||||||||
Hollywood Burbank Airport[a] (IATA: BUR, ICAO: KBUR, FAA LID: BUR) is a public airport three miles (4.8 km) northwest of downtown Burbank, in Los Angeles County, California, United States.[7] The airport serves Burbank, Hollywood, and the northern Greater Los Angeles area, which includes Glendale, Pasadena, the San Fernando Valley, and the Santa Clarita Valley. It is closer to many popular attractions, including Griffith Park, Universal Studios Hollywood, and Downtown Los Angeles, than Los Angeles International Airport (LAX), and it is the only airport in the area with a direct rail connection to Downtown Los Angeles, with service from two stations: Burbank Airport–North and Burbank Airport–South. Nonstop flights mostly serve cities in the western United States, though Delta Air Lines has regular routes to Atlanta.
Originally, the entire airport was within the Burbank city limits, but the north end of Runway 15/33 has been extended into the city of Los Angeles. The airport is owned by the Burbank–Glendale–Pasadena Airport Authority and controlled by the governments of those cities. The Airport Authority contracts with TBI Airport Management, Inc., to operate the airport, which has its own police and fire departments, the Burbank–Glendale–Pasadena Airport Authority Police. They also share police helicopters registered N102CG and N103CG both based out of Burbank airport on the north-east end of the airport on taxiway Bravo. Boarding uses air stairs instead of jet bridges. The Federal Aviation Administration (FAA) National Plan of Integrated Airport Systems for 2017–2021 categorized it as a medium-hub primary commercial service facility.[8]
History
The airport has been named United Airport (1930–1934), Union Air Terminal (1934–1940), Lockheed Air Terminal (1940–1967), Hollywood–Burbank Airport (1967–1978), Burbank–Glendale–Pasadena Airport (1978–2003), and Bob Hope Airport after comedian Bob Hope (since 2003 as the legal name).[5] In 2017, it was rebranded as Hollywood Burbank Airport due to the lack of recognition of Bob Hope Airport's geographic region.[5][6]
United Aircraft and Transport Corporation (UA&T) was a holding company created in 1928 that included Boeing Aircraft and United Air Lines, itself a holding company for a collection of small airlines that continued to operate under their own names. One of these airlines was Pacific Air Transport (PAT), which Boeing had acquired because of PAT's west coast mail contract in January 1928.[9] UA&T sought a site for a new airport for PAT and found one in Burbank. UA&T had the benefit of surveys that the Aeronautics Department of the Los Angeles Chamber of Commerce had conducted starting in 1926 to identify potential airport sites.[10]
It took UA&T a year and the cooperation of the city to assemble the site.[11] The 234-acre (0.95 km2) site was rife with vines and trees and the ground had to be filled and leveled, but it had good drainage, a firm landing surface, steady winds, and good access to ground transport.[12] Construction was completed in just seven months. In an age when few aircraft had brakes and many had a tail skid instead of a wheel, runways were not usually paved; those at Burbank had a 5-inch-thick (130 mm) mixture of oil and sand. There were no taxi strips, but the designers left room for them. Two of the runways were over 3,600 feet (1,100 m) long; a third was 2,900 feet (880 m); all were 300 feet (91 m) wide. These were generous dimensions, and the site had room for expansion.[13]
.jpg)
United Airport was dedicated amid much festivity (including an air show) on Memorial Day weekend (May 30 – June 1), 1930. The airport and its handsome Spanish Revival-style terminal was a showy competitor to nearby Grand Central Airport in Glendale, which was then Los Angeles' main airline terminal. The new Burbank facility was actually the largest commercial airport in the Los Angeles area until it was eclipsed in 1946 by the Los Angeles Airport in Westchester when that facility (formerly Mines Field, then Los Angeles Municipal Airport) commenced scheduled airline operations.
The Burbank facility remained United Airport until 1934 when it was renamed Union Air Terminal. [14] The name change came the same year that Federal anti-trust actions caused United Aircraft and Transport to dissolve, which took effect September 26, 1934. The Union Air Terminal moniker stuck until Lockheed bought the airport in 1940 and renamed it Lockheed Air Terminal.
In March 1939 airlines scheduled sixteen departures a day out of Burbank: eight United Airlines, five Western Airlines and three TWA (American Airlines' three departures were still at Glendale).[15] Airline flights continued even while Lockheed's extensive factories supplied the war effort and developed military and civil aircraft into the mid-1960s. The April 1957 OAG lists nine weekday departures on Western, six on United, six on Pacific Air Lines, one on TWA and one on American Airlines (a nonstop to Chicago Midway Airport). Pacific Southwest Airlines (PSA) had 48 Douglas DC-4 departures a week to SFO and SAN (PSA did not fly out of LAX until 1958).[16] In 1958 Transocean Air Lines Lockheed Constellations flew to Honolulu three times a week; twice a week a Constellation flew Oakland - Burbank - Chicago Midway Airport - New York Idlewild Airport (now JFK Airport) - Hartford.[17] In summer 1962 PSA flights to San Francisco and San Diego were all Lockheed L-188 Electras, a total of 32 departures a week from Burbank.[18]
_JP7769673.jpg)
Jets arrived at Burbank in the late 1960s: Pacific Air Lines flew Boeing 727-100s nonstop to Las Vegas and San Francisco and one-stop to Eureka/Arcata. Pacific Southwest Airlines (PSA) flew 727s to the San Francisco Bay Area and San Diego, and Hughes Airwest (previously Air West) flew Douglas DC-9-10s and McDonnell Douglas DC-9-30s nonstop to Las Vegas, Phoenix, Salt Lake City and Denver with one-stop DC-9s to Houston Hobby Airport. Hughes Airwest even operated one-stop DC-9s to Grand Canyon National Park Airport near the south rim of the Grand Canyon. In 1986 United Airlines Boeing 767-200s flew nonstop to Chicago O'Hare Airport; the 767 was the largest passenger airliner ever to serve Burbank. AirCal McDonnell Douglas MD-80s flew nonstop to the Bay Area and direct to Lake Tahoe.
In 1967 Lockheed renamed the facility Hollywood–Burbank Airport. [19] In 1970 Continental Airlines began Boeing 727-200 flights to Portland and Seattle via San Jose and also flew the short hop to Ontario. Continental later offered flights to Chicago via Ontario. Continental went on to serve Denver with nonstop Boeing 727-200s from BUR. Alaska Airlines began serving Burbank in 1981 with Boeing 727-100s and 727-200s flying nonstop and direct to Seattle and Portland, which was Alaska Air's first service to southern California.[20] Aloha Airlines pioneered nonstop jet service from BUR to Hawaii, flying Boeing 737-700s to Honolulu before ending all passenger operations.
A 1973 decision by the United States Supreme Court in City of Burbank v. Lockheed Air Terminal, Inc. overturned an airport curfew imposed by the city of Burbank on flights between 11:00 pm and 7:00 am under the U.S. Constitution's Supremacy Clause on the grounds that airports were subject to federal oversight by the Federal Aviation Administration and under the terms of the Noise Control Act of 1972.[21] The airport now has a strict voluntary noise abatement procedure to reduce noise of aircraft arriving and departing from the airport. Commercial flights are scheduled between the hours of 7:00 am and 10:00 pm. Departing flights usually take off to the south on runway 15, and arriving flights usually land on runway 8, winds permitting.[22]
The facility remained Hollywood–Burbank Airport for more than a decade until 1978 when Lockheed sold it to the Burbank–Glendale–Pasadena Airport Authority. The airport then got its fifth name: Burbank–Glendale–Pasadena Airport (1978–2003). On November 6, 2003, the airport authority voted to change the name to Bob Hope Airport in honor of comedian Bob Hope, a longtime resident of nearby Toluca Lake, who had died earlier that year and who had kept his personal airplane at the airfield.[23] The new name was unveiled on December 17, 2003, on the 100th anniversary of the Wright brothers' first flight in 1903, the year that Bob Hope was born.
After much debate between the Airport Authority, the city of Burbank, the Transportation Security Administration, and Burbank residents, in November 2007 it was decided that construction of a new $8 million to $10 million baggage screening facility for Terminal B is legal, considering the anti-growth limitations placed on the airport. The facility will house a $2.5-million explosive detection system, used for the automatic detection of explosives within checked luggage.[24]
On June 27, 2014, a $112 million Regional Transportation Center opened. The 520,000-square-foot (48,310-square-meter) center at Hollywood Way and Empire Avenue was also built to withstand a major earthquake while serving as an emergency "nerve center." The industrial-looking hub with a red steel roof will be adorned by 16, three-story art panels. Solar panels generating 1.5 megawatts of electricity will also be added to its roof. A nearby parking garage was built to handle more than 1,000 cars, while traffic lights have been reworked around the airport.[25]
Flight path changes and related noise issues
Flight paths of aircraft departing Hollywood Burbank Airport changed as part of the Federal Aviation Administration's airspace modernization program called NextGen. An independent analysis confirmed in October 2018 that "a connection was found between the [NextGen] implementation and the increase in the number of flights over areas south of the 101 Freeway.".[26] Patrick Lammerding, the airport's deputy executive director of planning and development, told The New York Times that in 2016, the airport received 577 complaints; a year after the flight path changes, in 2018, the number rose to 222,798; in the first half of 2019, complaints soared to 616,022.[27] Both the airport itself and third-party sources track noise complaints for the Hollywood Burbank Airport. In addition to the airport's systems (Webtrak), as of December 14, 2022, third party site Airnoise.io has received 3,540,332 noise complaints for the Hollywood Burbank Airport.[28] While the airport's Webtrak website requires users to fill out a web page with all the details of each aircraft disturbance, when pressed while an aircraft is overhead, the Airnoise button and website will automatically file a complaint on the user's behalf.[29] While in-person meetings regarding noise issues have been held in large meeting spaces with hundreds of attendees,[30] airport staff claims that approximately 90% of complaints are filed by 45 individuals. Such a claim is consistent with the airport's continued inaction to address these issues, despite repeated pleas for relief and solutions from local communities and elected officials from every level of government.[31][32] In 2019 and 2020, the airport and various stakeholders participated in a Southern San Fernando Valley Airport Noise Task Force[33] administered by aviation industry consultants that held meetings and presented 16 recommendations[34] to the FAA on June 8, 2020, to address the issue. The FAA responded by letter on September 1, 2020, that most of the recommendations were either "not operationally feasible" or "not technically feasible"[35] and, as of July 29, 2022, has not implemented any solutions. On August 1, 2022, Hollywood Burbank Airport received $3 million for Infrastructure upgrades and $805,900 will go toward an Airport Noise Compatibility Planning study, including updating Noise Exposure Maps and identifying where the airport can undertake mitigation efforts, according to Schiff's office.[36] As part of the noise study, the airport is also establishing a 12-member Citizen's Advisory Committee, which will include a majority of representatives from non-impacted areas: 3 members respectively from the airport owner cities of Burbank, Glendale, and Pasadena (9 total), and 1 member, respectively, from each of Los Angeles Council Districts 2, 4, and 6 (3 total).[37] After having taken almost 4 years to form the Citizens Advisory Committee,(See page 36) commissioners voted on March 18, 2024 to remove Los Angeles representatives from the citizen-run board."
Replacement Terminal

Hollywood Burbank Airport is in the process of constructing a new terminal on the northeast corner of the airport. The new terminal was required to keep the same number of gates (14) but will be significantly larger at 355,000 square feet (33,000 m2) allowing for more restrooms, additional restaurant and concession space, improved security screening areas, and other enhanced passenger amenities.
The plan to develop a new airport terminal building was unveiled by the airport authority in 2013. The replacement terminal will meet newer seismic standards and be farther from the runway as required by the Federal Aviation Administration.[38] The location is west of Hollywood Way on undeveloped property that has been used in recent years for parking. The Burbank City Council allowed voters to decide on the plan. Known as Measure B, the proposal went before Burbank city voters on November 8, 2016, and passed with 69% of voters approving.[39]
The next step in the terminal replacement process was for the Airport Authority to finalize the new terminal's design, get FAA approval (NEPA clearance for which was obtained on Tuesday, May 18, 2021)[40] and then secure the required financing from the FAA and other sources. Airport funding sources include FAA grants, parking fees, landing fees charged to airlines, as well as rents from restaurants and other concession businesses operating at the airport. There are also fees charged on airline tickets sold, including passenger facility charges and federal taxes. The airport selected the architectural firm Corgan to design the new terminal.[41]
In July 2021, the City of Los Angeles filed a lawsuit against the FAA alleging deficiencies in the environmental review process for the proposed replacement passenger terminal at the Hollywood Burbank Airport.[42]
On January 25, 2024, officials held a groundbreaking ceremony for the replacement terminal, with a projected opening in October 2026.[43] The project is estimated to cost $1.2 billion.[44]
Proposed California High Speed Rail Connection
The California High-Speed Rail Authority plans to have tracks running through and beneath the airport's property, with a new underground station to be built adjacent to the proposed replacement passenger terminal. In 2022, the airport used the California Environmental Quality Act to file a lawsuit to block approval for California High-Speed Rail construction.[45] The lawsuit was dropped in 2023 after an agreement was reached between the high-speed rail and airport authorities.[46]
Facilities

Hollywood Burbank Airport covers 555 acres (224 ha) at an elevation of 778 feet (237 m) above sea level. It has two asphalt runways: 15/33 is 6,886 by 150 feet (2,099 x 46 m) and 8/26 is 5,802 by 150 feet (1,768 x 46 m).[7][47] Airliners generally take off on Runway 15 due to wind from the south, and land crosswind on Runway 8 since that is the only runway with ILS and clear terrain for the approach. Flights from the northeast rarely land visually on Runway 15 to save the extra distance circling to Runway 8. When the wind is from the north aircraft make a visual approach over the Santa Monica mountains for a left-base to final turn to Runway 33.
In the year ending February 28, 2023, the airport had 151,916 operations, average 416 per day: 45% scheduled commercial, 36% general aviation 19% air taxi, and <1% military. At that time, 81 aircraft were then based at this airport: 42 jet, 22 single-engine, 6 multi-engine, and 11 helicopter.[7]

Hollywood Burbank Airport also has its own Aircraft Rescue and Firefighting (ARFF) station, which is housed in a hangar in the northwest quadrant of the airport. In addition to providing emergency services to support airport operations, the department supports the airport AED program, fire extinguisher inspections and training, in addition to inspections and emergency support for all airport structures. Beginning in 2012, the Burbank–Glendale–Pasadena Airport Authority equipped its ARFF with Rosenbauer Panther 1500 vehicles.[48] Burbank was the first airport in the US to operate state-of-the-art Class 4 ARFF vehicles employing compressed air foam (CAF) technologies, which provide enhanced firefighting capabilities when paired with other tools like forward looking infrared (FLIR) and thermal imaging cameras (TICs). The airport operates with five firefighters and one captain, while FAA standards require Index C airports like Hollywood Burbank to have a minimum of two firefighters and one captain.[49]
Terminals
Hollywood Burbank Airport has two terminals, "A" and "B", joined as part of the same building. Terminal A has nine gates numbered A1 to A9, Terminal B has five gates numbered B1 to B5.
A new terminal facility broke ground in January 2024. The 355,000 square-foot facility is expected to replace BUR's current 94-year-old terminal building in October 2026 and will have 14 gates and it will have one floor.[50][51]
Ground transportation

Hollywood Burbank Airport can be reached using the Hollywood Way exit off Interstate 5 southbound, the Empire Avenue exit off Interstate 5 northbound, the Hollywood Way (westbound) or Pass Avenue (eastbound) exit off State Route 134, the Victory Boulevard exit off State Route 170, or the Barham Blvd (northbound) exit off U.S. Route 101. Car and pedestrian access to the terminal is provided at either Hollywood Way and Thornton Avenue or on Empire Avenue one block west of Hollywood Way. On-site parking consists of valet parking, short-term parking, and Parking Lots E and G. Remote Parking Lot A is located at Hollywood Way and Winona Avenue. Remote Parking Lot C is located on Thornton Avenue west of Ontario Street. Shuttle buses are provided from Parking Lots A and C to the terminal buildings. A shuttle stop is also located at the corner of Hollywood Way and Thornton Avenue.[4]
Lyft, Uber, and Wingz all use the passenger drop-off location[52] in front of the main terminal for departing travelers, and arrivals use the adjacent Short Term Parking structure directly opposite the terminal.
There are two bus stop areas: Hollywood Way–Thornton Avenue (a short walk east of Terminal A) and Empire Avenue/Intermodal, also known as the RITC, a short walk south of Terminal B across from the Burbank Airport-South station. All Burbank-bound lines serve the Downtown Burbank Metrolink station. Metro route 222 connects to the Universal City station. The Burbank Orange bus connects to North Hollywood station.
Amtrak's Coast Starlight and Pacific Surfliner serve the Burbank Airport–South station located south of the airport. The train station is a short walk from the terminal area via skybridge. Amtrak's Pacific Surfliner provides access to San Luis Obispo, Santa Barbara, Los Angeles Union Station, Anaheim, and San Diego.
Twice daily Amtrak Thruway bus service on Empire Avenue across from the Burbank Airport–South station provides transportation to Santa Monica, UCLA, Van Nuys, Newhall, and Bakersfield.[53]
Regional service Metrolink has two stops near the airport. The Antelope Valley Line stops at the Burbank Airport–North station located about one mile north of the terminal near the intersection of San Fernando Boulevard and Hollywood Way. This station has a free on-demand shuttle that takes passengers to the terminal; passengers can also board the Metro 294 bus for free with a Metrolink ticket.[54] The second station is on the Metrolink Ventura County Line south of the terminal, along Empire Avenue, named Burbank Airport-South station. Both stations north and south, provide access to downtown Los Angeles, Ventura County and Antelope Valley, respectively.
Airlines and destinations
Passenger
Destinations map
| Destinations map |
|---|
![]() Burbank Mainland U.S. destinations from BUR Red = Year-round destination Green = Seasonal destination Blue = Future destination |
Cargo
| Airlines | Destinations |
|---|---|
| AirNet Express | Columbus–Rickenbacker |
| Ameriflight | Los Angeles, Bakersfield, Oakland, Ontario, Santa Barbara, San Luis Obispo, Santa Maria Seasonal: Oxnard |
| FedEx Express | Lubbock, Memphis, Ontario, Portland (OR) |
| UPS Airlines | Chicago/Rockford, Louisville |
Statistics
Top destinations
| Rank | City | Passengers | Carriers |
|---|---|---|---|
| 1 | 434,980 | Southwest, Spirit | |
| 2 | 309,730 | Southwest, Spirit | |
| 3 | 290,450 | American, Southwest | |
| 4 | 264,930 | Alaska, United | |
| 5 | 244,520 | Southwest | |
| 6 | 242,440 | Frontier, Southwest, United | |
| 7 | 218,120 | Alaska | |
| 8 | 209,620 | Southwest | |
| 9 | 139,210 | Alaska, Southwest | |
| 10 | 107,910 | American |
Airline market share
| Rank | Airline | Passengers | Percent of market share |
|---|---|---|---|
| 1 | Southwest Airlines | 3,751,000 | 57.91% |
| 2 | Alaska Airlines | 584,000 | 9.02% |
| 3 | SkyWest Airlines | 535,000 | 8.26% |
| 4 | Spirit Airlines | 419,000 | 6.47% |
| 5 | Avelo Airlines | 395,000 | 6.10% |
| 6 | Others | 793,000 | 12.24% |
Annual traffic
| Year | Passengers | Year | Passengers | Year | Passengers |
|---|---|---|---|---|---|
| 2000 | 4,748,742 | 2010 | 4,461,271 | 2020 | 1,995,348 |
| 2001 | 4,487,335 | 2011 | 4,301,568 | 2021 | 3,732,971 |
| 2002 | 4,620,683 | 2012 | 4,056,416 | 2022 | 5,898,736 |
| 2003 | 4,729,936 | 2013 | 3,844,092 | 2023 | 6,034,729 |
| 2004 | 4,916,800 | 2014 | 3,861,179 | 2024 | 6,550,281 |
| 2005 | 5,512,619 | 2015 | 3,943,629 | ||
| 2006 | 5,689,291 | 2016 | 4,142,943 | ||
| 2007 | 5,921,336 | 2017 | 4,739,466 | ||
| 2008 | 5,331,404 | 2018 | 5,263,972 | ||
| 2009 | 4,588,433 | 2019 | 5,983,737 |
Freight/mail (lb.)
(2024)
| Rank[89] | Airline | Cargo Amount |
|---|---|---|
| 1 | UPS Airlines | 41,639,581 |
| 2 | Fedex Express | 29,825,924 |
| 3 | Ameriflight | 1,971,925 |
Accidents and incidents
- On September 21, 1938, USAAC Chief Maj. Gen. Oscar Westover was killed in the crash of Northrop A-17AS, 36-349, c/n 289, '1', out of Bolling Field, Washington, D.C., in a crosswind short of the runway. The single-engine attack design, used as a high-speed staff transport, crashed into a house at 1007 Scott Road in Burbank. Also killed was Westover's mechanic, S/Sgt Samuel Hymes.[90] (Another source identifies him as Sgt. Samuel Hyne.)[91] Northeast Air Base, Massachusetts, was renamed Westover Field on December 1, 1939, later Westover AFB on January 13, 1948.[92] The location of the crash may indicate that Gen. Westover's intended landing field was not Hollywood Burbank Airport (then Union Air Terminal), but a nearby landing field, Lockheed Aircraft Company Plant B-1 Airfield (34.189°N, 118.331°W), 1 mile southeast of Hollywood Burbank Airport, which existed from ca. 1928 until World War II. The site is now (2022) the Empire Center Shopping Center, with a Staples, Lowe's, and Target where the runway had been.
- On August 6, 1945, leading U.S. fighter ace Richard Bong was killed when his plane's primary fuel pump malfunctioned during takeoff on the acceptance flight of P-80A 44–85048. Bong either forgot to switch to the auxiliary fuel pump, or for some reason was unable to do so. Bong bailed out of the aircraft but was too low for his parachute to deploy. The plane crashed into a narrow field at Oxnard St & Satsuma Ave, North Hollywood.
- On October 31, 1951, a Pacific Southwest DC-3 crashed shortly after take-off into Valhalla Memorial Park Cemetery, immediately south of the airport. Though damaged, the fuselage remained intact and there were only very minor injuries.
- On September 8, 1955, Currey Air Transport Flight 24, a Douglas DC-3 bound for Oakland, crashed on the airport property while returning to the airfield after experiencing an engine failure shortly after takeoff. The plane, N74663, struck a power line on the southern boundary of the airport, causing it to crash into two parked Air Force C-54 aircraft and a Lockheed Aircraft service hangar. The pilot, co-pilot and an airport employee on the ground were killed; the plane's stewardess and one passenger were seriously injured. The remaining 29 passengers on board received minor injuries.
- On December 14, 1962, a Flying Tiger Line Lockheed L-1049H Super Constellation freighter (N6913C) crashed in dense fog 1+1⁄2 miles west of the airport during an instrument landing system (ILS) approach to Runway 07. The Constellation clipped a telephone pole and billboard and crashed in an industrial and residential neighborhood near the intersection of Lankershim Boulevard and Vose Street in North Hollywood after the aircraft's 38-year-old pilot suffered a heart attack at a critical point in the landing approach. All five occupants of the Constellation—the pilot, co-pilot, flight engineer and two non-revenue passengers—died in the crash. Also killed were two persons in a commercial building and a teen-age girl in a house that were among the structures struck by the plane.
- On December 5, 1982, Douglas C-53 N163E operated by P. Crossman was damaged beyond repair in a taxiing accident.[93]
- On March 5, 2000, Southwest Airlines Flight 1455, upon landing on Runway 8 at Burbank following a flight from Las Vegas, overran the runway, injuring 44. The Boeing 737 crashed through a metal blast barrier at the end of the runway, then an airport perimeter fence, and came to rest in the traffic lanes of Hollywood Way, a main north–south thoroughfare. The plane stopped near a Chevron gasoline station located across the street from the runway. The incident resulted in the dismissal of the pilots. The Chevron gasoline station was subsequently closed and removed due to safety concerns.
- On September 21, 2005, JetBlue Flight 292 took off from Burbank, and the nose gear failed to retract and instead jammed sideways. The aircraft spent several hours in the air before safely making an emergency landing at LAX, with 140 passengers and 6 crew members aboard. The Airbus A320 was originally bound for JFK International Airport, in New York City. After the aircraft took off, the incident was quickly captured by news helicopters which ran feed that was shown live nationally on cable news. Many passengers on the flight said they watched images of their own aircraft's flight on JetBlue's LiveTV system.
- On October 13, 2006, a Gulfstream Aerospace jet overran the runway upon landing.[94] There were no reported injuries amongst the five passengers and two crew members. New York Yankees third baseman Alex Rodriguez was on board, en route to attend the funeral of teammate Cory Lidle. Rodriguez was uninjured, but the accident happened two days after the fatal plane crash of his teammate.
- On December 6, 2018, Southwest Airlines Flight 278 from Oakland overran the runway in heavy rain. The flight was stopped by the EMAS installed following the similar Southwest Airlines Flight 1455 incident in 2000.[95]
- On February 22, 2023, a near mid-air collision was reported at the Hollywood Burbank Airport when a SkyWest Embraer 175 was cleared to takeoff on runway 33 and a Mesa Airlines CRJ-900 was cleared to land immediately after on the same runway. The accident was averted by initiating a go around and neither plane suffered any damages and there were no injuries for any passenger on board.[96]
See also
- California World War II Army Airfields
- List of airports in California
This article incorporates public domain material from the Air Force Historical Research Agency
Notes
References
- ^ "Fleets & Bases". Ameriflight.
- ^ "Avelo Airlines to stop flights out of Hollywood Burbank Airport". CBS News. July 14, 2025. Retrieved July 15, 2025.
- ^ "Where we fly". JSX.
- ^ a b "Airport Statistics". Hollywood Burbank Airport. Retrieved July 15, 2024.
- ^ a b c Carpio, Anthony (May 3, 2016). "Bye bye, Bob Hope: Airfield rebrands as Hollywood Burbank Airport". Burbank Leader. Los Angeles Times. Retrieved May 4, 2016.
- ^ a b Annlee Ellingson (December 15, 2017). "Bob Hope Airport renamed so passengers know where they're flying to". L.A. Biz. L.A. Biz. Retrieved August 13, 2017.
- ^ a b c FAA Airport Form 5010 for BUR PDF. Federal Aviation Administration. effective August 7, 2025.
- ^ "List of NPIAS Airports" (PDF). FAA.gov. Federal Aviation Administration. October 21, 2016. Retrieved May 30, 2017.
- ^ D. D. Hatfield, Los Angeles Aeronautics, 1920–1929 (Inglewood, CA:Northrop University Press, 1973, 1976), 111; William Garvey and David Fisher, The Age of Flight: A History of America's Pioneering Airline (Greensboro, NC: Pace Communications, 2002), 206–07.
- ^ Dr. Ford A. Carpenter, A Preliminary Report on the Airports or Landing Fields of Los Angeles County, prepared for the Los Angeles Chamber of Commerce, October 1, 1926, typescript in the LAX Archive. This report includes photographs and descriptions of existing airports, including meteorological data and a location map. Regional Planning Commission, County of Los Angeles, Master Plan (Los Angeles, CA: Hall of Records, 1929.) Some authors claim, without documentation, that a federal Department of Commerce survey identified the site. The fact that Dr. Carpenter had been the Los Angeles meteorologist for the U. S. Weather Bureau and the Chamber's "Department of Aeronautics" name may explain the confusion.
- ^ Burbank City Council, Minutes, January 29, 1929; March 26, 1929; April 16, 1929.
- ^ "United Airport of Burbank," typescript information sheet in the Archives of the Burbank Historical Society; n.p., but 1–2.
- ^ "United Airport of Burbank," 3; Los Angeles County Regional Planning Commission, A Comprehensive Report on the Master Plan of Airports for the Los Angeles County Regional Planning District (1940), 122.
- ^ "Water and Power Associates". waterandpower.org. Retrieved June 27, 2025.
- ^ Official Aviation Guide, Chicago IL: Official Aviation Guide Company, 1939
- ^ Official Airline Guide, Washington DC: American Aviation Publications, 1957
- ^ http://www.timetableimages.com, Oct. 27, 1958 Transocean timetable
- ^ http://www.timetableimages.com, June 25, 1962 PSA - Pacific Southwest Airlines timetable
- ^ "Water and Power Associates". waterandpower.org. Retrieved June 27, 2025.
- ^ http://www.departedflights.com, 1981 Alaska Airlines annual report
- ^ City of Burbank v. Lockheed Air Terminal, Inc., 411 U.S. 624 (1973), Justia. Accessed January 24, 2018. "Appellees sought an injunction against enforcement of a Burbank city ordinance placing an 11 p.m. to 7 a.m. curfew on jet flights from the Hollywood–Burbank Airport. The District Court found the ordinance unconstitutional on Supremacy Clause and Commerce Clause grounds, and the Court of Appeals affirmed on the basis of the Supremacy Clause, with respect to both preemption and conflict. Held: In light of the pervasive nature of the scheme of federal regulation of aircraft noise, as reaffirmed and reinforced by the Noise Control Act of 1972, the Federal Aviation Administration, now in conjunction with the Environmental Protection Agency, has full control over aircraft noise, preempting state and local control."
- ^ "Whispertrack". whispertrack.com. Retrieved January 26, 2020.
- ^ Li, Caitlin. "'Bob Hope Airport' Could Land in Burbank", Los Angeles Times, November 4, 2003. Accessed January 24, 2018. "Burbank Airport commissioners voted unanimously Monday to rename the airfield 'Bob Hope Airport.' The latest name change for Burbank–Glendale–Pasadena Airport—the fifth in its 73-year history—could happen as early as Dec. 17, pending approval by the three cities with joint powers over the airfield."
- ^ Oberstein, J. (November 7, 2007). "Firm approves new screening facility". Burbank Leader. Archived from the original on December 31, 2014. Retrieved December 31, 2014.
- ^ Bartholomew, D:[1], "Daily News," June 27, 2007.
- ^ "Hollywood Burbank Airport Flight Path Analysis | Final Report" (PDF). Retrieved December 14, 2022.
- ^ Zipkin, Amy (November 18, 2019). "GPS for Air Travel Came With Big Downsides: Noise, Then Lawsuits". The New York Times. ISSN 0362-4331. Retrieved July 29, 2022.
- ^ "Airnoise". airnoise.io. Retrieved July 29, 2022.
- ^ "Getting started with Airnoise.io". Retrieved December 14, 2022.
- ^ Carpio, Anthony Clark (August 30, 2019). "Joint task force on air traffic noise takes flight". Los Angeles Times. Retrieved December 14, 2022.
- ^ "Southern San Fernando Valley Airplane Noise Task Force – May 6, 2020 and May 7, 2020 Meeting Summary" (PDF).
- ^ "Letter dated April 4, 2019 from Los Angeles Mayor Eric Garcetti, Los Angeles City Attorney Michael N. Feuer, Los Angeles City Councilmember Paul Krekorian, Los Angeles City Councilmember Paul Koretz, and Los Angeles City Councilmember David Ryu to Federal Aviation Administration re: request for information regarding increases in aircraft noise and related problems from flights over communities in the South San Fernando Valley and Santa Monica Mountains". Retrieved December 22, 2022.
- ^ Co, The Kestrel. "Noise Task Force". Hollywood Burbank Airport. Retrieved July 29, 2022.
- ^ Amended Task Force Member
- ^ Response to SSFVTF
- ^ Service • •, City News (August 2, 2022). "Burbank Airport to Receive $3M for Infrastructure Upgrades". NBC Los Angeles. Retrieved August 31, 2022.
- ^ "Resolution No. 488" (PDF). Retrieved December 14, 2022.
- ^ Siegal, Daniel (September 20, 2013). "Bob Hope Airport officials present plans for new terminal". Los Angeles Times.
- ^ Carpio, A:[2], "Los Angeles Times," November 8, 2016.
- ^ "FAA Issues Environmental Decision for Burbank Terminal Project". May 18, 2021.
- ^ Wachs, Audrey (March 9, 2023). "Corgan presents three ideas for new Hollywood Burbank Airport". The Architect’s Newspaper. Retrieved August 19, 2023.
- ^ Madler, Mark (July 13, 2021). "Los Angeles Sues FAA Over Burbank Airport's New Terminal". San Fernando Valley Business Journal. Retrieved July 29, 2022.
- ^ Garcia, Sid (January 25, 2024). "Hollywood Burbank Airport starting work on new terminal to open by 2026". ABC7. Retrieved January 26, 2024.
- ^ Sharp, Steven (January 29, 2024). "Hollywood Burbank Airport breaks ground on $1.2B replacement terminal". Urbanize LA. Retrieved March 4, 2024.
- ^ Vartabedian, Ralph (February 25, 2022). "Hollywood Burbank Airport files environmental lawsuit against California's bullet train". Los Angeles Times. Retrieved February 28, 2022.
- ^ Schlepp, Travis. "Burbank Airport drops lawsuit against California High-Speed Rail". KTLA 5. Retrieved November 19, 2023.
- ^ "BUR airport data at skyvector.com". skyvector.com. Retrieved August 19, 2025.
- ^ "Bob Hope Airport Fire Department Introduces the Panther 1500". myburbank.com. February 7, 2012. Retrieved August 30, 2021.
- ^ Carpio, Anthony Clark (October 25, 2017). "Hollywood Burbank Airport opts to not reduce firefighter staffing". Los Angeles Times. Retrieved 2021-08-30.
- ^ "Hollywood Burbank Airport starting work on new terminal to open by 2026". abc. January 25, 2024. Retrieved January 25, 2024.
- ^ "Burbank Airport makeover plan takes off. Here's how it'll look in 2 years". msn.
- ^ "TNC Drivers – Burbank Bob Hope Airport". bobhopeairport.com. Archived from the original on August 12, 2016. Retrieved January 17, 2022.
- ^ "Route 1".
- ^ Metrolink (June 21, 2013). "Metrolink, Metro and the Bob Hope Airport hold groundbreaking event for the Bob Hope Airport-Hollywood Way Metrolink Station". Archived from the original on July 5, 2013. Retrieved February 13, 2014.
- ^ a b c "Alaska Airline NW25 Network Expansion". Aeroroutes. Retrieved August 1, 2025.
- ^ Airlines, Alaska. "Flight Timetable". Alaska Airlines. Retrieved January 29, 2017.
- ^ a b "Flight schedules and notifications". American Airlines. Retrieved March 4, 2018.
- ^ "Avelo Airlines to leave Eugene as part of West Coast contraction". The Register-Guard. July 14, 2025. Retrieved July 14, 2025.
- ^ "BREAKING: Avelo Airlines is Leaving Humboldt County, Closing Its Base in Burbank". Lost Coast Outpost. July 14, 2025. Retrieved July 14, 2025.
- ^ "Avelo Airlines to exit West Coast; last Medford flight is Dec. 2". Rogue Valley Times. July 15, 2025. Retrieved July 15, 2025.
- ^ "Starting in August, Avelo Airlines will begin to leave Redmond Aiport, with last flight scheduled for December 2nd". KTVZ21. July 14, 2025. Retrieved July 14, 2025.
- ^ a b "Avelo Airlines Slashes West Coast Network — See Which Routes End First". MSN. July 14, 2025. Retrieved July 15, 2025.
- ^ "Destinations". Avelo Airlines. Retrieved September 12, 2024.
- ^ a b c d e "Breeze Adds Five New Cities". Airline Geeks. July 17, 2025. Retrieved July 17, 2025.
- ^ "Breeze Airways Destinations". Archived from the original on April 15, 2022. Retrieved April 26, 2022.
- ^ "Santa Barbara, Yosemite, Tahoe and more: Get there on Delta with new and returning flights for summer 2024". Delta News Hub. September 15, 2023. Retrieved September 15, 2023.
- ^ a b "Route Map". Delta Air Lines. Retrieved October 26, 2022.
- ^ "Frontier Airlines Unveils New Routes for Fall". Travel Pulse. Retrieved August 27, 2024.
- ^ "Route Map". Frontier Airlines.
- ^ "JetBlue Enhances Summer Travel with New Routes and Destinations, Strengthening its East Coast Network". Business Wire. January 15, 2025.
- ^ "JetBlue Airlines Timetable". Archived from the original on July 13, 2013. Retrieved August 5, 2018.
- ^ "Award-winning Air Carrier JSX Launches New Sun & Ski Routes to Florida and Salt Lake City Starting in Late 2024". Street Insider. June 26, 2024. Retrieved June 26, 2024.
- ^ a b "JSX Ending Flights at Two Airports". Airline Geeks. Retrieved July 3, 2025.
- ^ "JSX to offer non-stop flights from Napa to SoCal, starting in July". KRON4. April 23, 2025. Retrieved April 23, 2025.
- ^ Ewing, Ryan (October 2, 2024). "Airport Receives Millions in State Funds to Lure More JSX Service". AirlineGeeks. Retrieved October 4, 2024.
- ^ Salerno, Michael (December 14, 2023). "JSX is moving from Sky Harbor to Scottsdale Airport. Here's what flyers need to know". The Arizona Republic.
- ^ "Southwest Airlines To End These 29 Routes Next March In Network Shake-Up".
- ^ "Southwest Airlines To End These 29 Routes Next March In Network Shake-Up".
- ^ "Southwest Airlines To End These 29 Routes Next March In Network Shake-Up".
- ^ "Check Flight Schedules". Southwest Airlines. Retrieved December 7, 2024.
- ^ "Southwest Airlines Extends Flight Schedule With New International Options And Most-Ever Departures". Southwest Airlines (Press release). October 26, 2023. Retrieved October 26, 2023.
- ^ "Press Release - Spirit Airlines, Inc. – IR Site". ir.spirit.com. Retrieved March 12, 2019.
- ^ "Timetable". Archived from the original on January 28, 2017. Retrieved June 20, 2022.
- ^ "Timetable". United Airlines. Archived from the original on January 28, 2017. Retrieved July 14, 2022.
- ^ a b Co, The Kestrel. "Airport Statistics". Hollywood Burbank Airport. Retrieved March 31, 2025.
- ^ "Facts About Bob Hope Airport". Burbank Bob Hope Airport. Archived from the original on July 4, 2014.
- ^ "About the Airport". Burbank Bob Hope Airport. Archived from the original on July 2, 2015.
- ^ "Airport Statistics". Hollywood Burbank Airport.
- ^ Co, The Kestrel. "Airport Statistics". Hollywood Burbank Airport. Retrieved September 8, 2022.
- ^ Bowers, Peter M., "Captain of the Clouds", Airpower, Granada Hills, California, July 1972, Volume 2, Number 4, p. 33.
- ^ Matthews, Birch, "Cobra!: Bell Aircraft Corporation 1934–1946", Schiffer Publishing Limited, Atglen, Pennsylvania, 1996, Library of Congress card number 95-72357, ISBN 0-88740-911-3, p. 87.
- ^ Mueller, Robert, "Air Force Bases Volume 1: Active Air Force Bases Within the United States of America on 17 September 1982", United States Air Force Historical Research Center, Office of Air Force History, Washington, D.C., 1989, ISBN 0-912799-53-6, p. 577.
- ^ "N163E Accident report". Aviation Safety Network. Retrieved July 13, 2010.
- ^ "N113AR Accident report". National Transportation Safety Board. Retrieved November 16, 2014.
- ^ Gilbertson, Dawn (December 6, 2018). "Southwest plane skids off the runway in rainy weather in California". USA Today. Retrieved December 6, 2018.
- ^ Aratani, Lori (February 24, 2023). "Pilot halts landing at California airport in latest close-call incident". Washington Post. ISSN 0190-8286. Archived from the original on March 20, 2023. Retrieved August 17, 2023.
External links
- Hollywood Burbank Airport, official site
- Elevate BUR, official replacement terminal site
- Burbank Airport at Burbank.com
- Aerial image as of March 2004 from USGS The National Map
- FAA Airport Diagram (PDF), effective August 7, 2025
- FAA Terminal Procedures for BUR, effective August 7, 2025
- Resources for this airport:
- AirNav airport information for KBUR
- ASN accident history for BUR
- FlightAware airport information and live flight tracker
- NOAA/NWS weather observations: current, past three days
- SkyVector aeronautical chart for KBUR
- FAA current BUR delay information



