Charlotte Douglas International Airport
Charlotte Douglas International Airport | |||||||||||||||||||
|---|---|---|---|---|---|---|---|---|---|---|---|---|---|---|---|---|---|---|---|
![]() | |||||||||||||||||||
![]() An aerial view of the airport in 2012 | |||||||||||||||||||
| Summary | |||||||||||||||||||
| Airport type | Public | ||||||||||||||||||
| Owner/Operator | City of Charlotte | ||||||||||||||||||
| Serves | Charlotte metropolitan area | ||||||||||||||||||
| Location | 5501 Josh Birmingham Parkway Charlotte, North Carolina, U.S. | ||||||||||||||||||
| Opened | 1935 | ||||||||||||||||||
| Hub for | American Airlines | ||||||||||||||||||
| Time zone | EST (UTC−05:00) | ||||||||||||||||||
| • Summer (DST) | EDT (UTC−04:00) | ||||||||||||||||||
| Elevation AMSL | 228 m / 748 ft | ||||||||||||||||||
| Coordinates | 35°12′50″N 080°56′35″W / 35.21389°N 80.94306°W | ||||||||||||||||||
| Website | www | ||||||||||||||||||
| Maps | |||||||||||||||||||
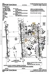
![]() FAA airport diagram | |||||||||||||||||||
| Runways | |||||||||||||||||||
| |||||||||||||||||||
| Statistics (2024) | |||||||||||||||||||
| |||||||||||||||||||
Charlotte Douglas International Airport (IATA: CLT, ICAO: KCLT, FAA LID: CLT) is an international airport serving Charlotte, North Carolina, United States, located roughly 6 miles (9.7 km) west of the city's central business district. Charlotte Douglas is the primary airport for commercial and military use in the Charlotte metropolitan area. Operated by the city of Charlotte's aviation department,[3] the airport covers 5,558 acres (2,249 ha) of land.[4][5]
Established in 1935 as Charlotte Municipal Airport, the airport was later renamed as Douglas Municipal Airport for Ben Elbert Douglas Sr., who was the mayor of Charlotte when the airport was first built. In 1982, the airport was renamed again, this time to its current Charlotte Douglas International Airport.[6]
In 2019, CLT was the 11th-busiest airport in the United States in terms of passenger traffic, having processed over 50 million passengers,[7] and fifth-busiest in terms of aircraft operations, ranking sixth globally.[8] In 2021, CLT grew to the sixth busiest airport in the United States.[9] Charlotte is a fortress hub for American Airlines, which operates the majority of the airport's flights. The airport has 3 operating runways and one passenger terminal with 124 gates across five concourses. A commercial-civil-military facility, the airport is home to the Charlotte Air National Guard base and its host unit, the 145th Airlift Wing of the North Carolina Air National Guard.[10]
History
Early years
The city received Works Progress Administration funding to establish Charlotte's first municipal airport; the airport was, at the time, the largest single WPA project in the United States, incorporating a terminal, hangar, beacon tower and three runways.[11]
In 1936, Charlotte Municipal Airport opened, operated by the City of Charlotte; Eastern Air Lines began scheduled passenger service in 1937. The original passenger terminal still exists and is used for offices and training rooms by various aviation-related organizations.
The United States Army Air Forces took control of the airport and established Charlotte Air Base in early 1941, which was renamed Morris Field soon after the attack on Pearl Harbor. The US military invested more than $5 million in airfield improvements by the time the facility was returned to the City of Charlotte in 1946.[11] The airfield was used by the Third Air Force for antisubmarine patrols and training.
1950 to mid-1960s: into the jet age
In 1954, a 70,000-square-foot (6,500 m2) passenger terminal opened and the airport was renamed Douglas Municipal Airport in honor of former Charlotte Mayor Ben Elbert Douglas Sr., who had overseen the airport's opening 20 years earlier. The terminal had two floors; passenger operations were confined to the ground floor. Ticketing and baggage claim were on each side of an open space that bisected the building north to south, and a mezzanine restaurant and airline offices overlooked this open space. Delta Air Lines began scheduled passenger service in 1956. The OAG for April 1957 shows 57 weekday departures on Eastern, 7 Piedmont, 6 Capital, 4 Delta and 2 Southern. Nonstop flights did not reach beyond Newark, Pittsburgh, Columbus, Louisville, Birmingham, and Jacksonville.
Scheduled jet flights (Eastern Air Lines Boeing 720s) began in early 1962.[12] Eastern used the west pier, Piedmont and Delta the center pier, and United and Southern used the east pier.
Late 1960s to 1978: before deregulation
A major renovation project in the late 1960s expanded the facility. Eastern opened a unit terminal in 1967, replacing the old west pier. This new facility had eight dedicated gates for Eastern, each with its own departure lounge, snack bar and separate baggage claim space. Eastern passengers continued to check in at the main terminal.
In 1969, a new enclosed concourse was built parallel to the center pier. When it was completed, Piedmont, Eastern, and Delta moved in and the old center pier was demolished. The new concourse had separate departure lounges, restrooms and an enlarged baggage claim area. United's flights continued to use the east pier, with an enclosed holding room added for waiting passengers. Eastern added two more gates to the end of its west concourse in 1973.
In April 1975, the airport had 97 weekday departures to 32 destinations on seven airlines.[13][14]
1978 to 1989: becoming a hub
After airline deregulation, passenger numbers at the terminal nearly doubled between 1978 and 1980, and a new 10,000-foot (3,000 m) parallel runway and control tower opened in 1979. The airport's master plan called for a new terminal across the runway from the existing site, with ground broken in 1979. At the time, the airport had only two concourses: one used exclusively by Eastern, and one used by other carriers, including United, Delta, Piedmont, and several commuter airlines.[15]
In 1979, Piedmont Airlines chose Charlotte as the hub for its expanding network. A new 325,000-square-foot (30,200 m2) passenger terminal designed by Odell Associates opened in 1982, and the airport was renamed Charlotte Douglas International Airport.[16] Concourses B and C were expanded in 1987 and 1984 respectively, while Concourse A was built in 1986 to handle future growth.[16]
In 1987, Piedmont started non-stop 767 flights to London. In the mid-1980s, the old terminal site was converted to a cargo center, and the central concourse and Eastern unit terminal were removed to make way for more cargo buildings. The original main building still stands and is used for office space. The old control tower was removed in the late 1990s. In 1989 Piedmont merged with USAir; the new merged operations kept the USAir name.
1990 to 2013: the influence of US Airways
.jpg)
In 1990, a new 80,000-square-foot (7,400 m2) international and commuter concourse (Concourse D) opened, and in 1991 further expansion of the central terminal building continued, reflective of USAir's dominating presence at the airport. A monumental bronze statue of Queen Charlotte of Mecklenburg-Strelitz (the namesake of the city), created by Raymond Kaskey, was placed in front of the main terminal.
In 1990, Lufthansa began Boeing 747-200 service to Charlotte, on a Frankfurt-Charlotte-Houston routing; however, this service was short-lived. In 1994, British Airways began service to London via a "global alliance" with USAir. This was later discontinued in 2002, as British Airways formed the Oneworld Alliance and USAir become a part of the Star Alliance (although USAir later joined Oneworld prior to merging with American). In 2003, Lufthansa restarted service to Charlotte, though now from Munich, utilizing their Airbus A340-300 fleet. Over time, this route has been flown by Airbus A340-600 and A330-300 aircraft, and is now regularly served by the Airbus A350-900.
In 1999, plans were announced for the construction of a regional carrier concourse (present-day Concourse E) and for the expansion of Concourses A and D. This expansion was designed by The Wilson Group and LS3P Associates Ltd.[17] In 2002, the new 32-gate Concourse E opened.[18] The airline closed its Concourse D US Airways Club location in 2002. In 2003, the main ticketing hall was expanded to the east, providing 13 additional ticketing counters and a new security checkpoint; Concourse D was expanded by an additional nine gates.
Following the 2005 acquisition of US Airways by America West Airlines in a reverse takeover,[19] Charlotte remained the primary domestic hub for the airline. The majority of US Airways' international routes remained at the airline's second-largest hub, Philadelphia.
Between 2007 and 2015, the airport completed $1.5 billion worth of construction projects, part of which later became known as the "CLT 2015" plan. These projects included a new airport entrance roadway, new hourly parking decks with a centralized rental car facility, a regional intermodal cargo facility, an expansion of the east-side terminal lobby, new checked baggage handling systems, and additional space for concessions and shops.[20]
Construction of the airport's fourth runway began in spring 2007. At 9,000 feet (2,700 m) long, the new "third parallel" allows three independent approaches for arrivals even from the south, potentially increasing capacity by 33 percent. The new runway lies west of the three existing runways. The construction of the fourth runway required the relocation of parts of Wallace Neel Road (which had been the Western boundary of the airport) to an alignment located farther to the west. Construction occurred in two phases. The first phase, which began in March 2007, included grading and drainage. The second phase included the paving and lighting of the runway. In August 2009, crews paved the last section.[21]
With the merger of US Airways and American Airlines in 2013, Charlotte became the second-largest hub for the merged airline, after Dallas/Fort Worth.
2013–present: post-merger growth and Destination CLT

_11.jpg)
_16.jpg)
_07.jpg)

In 2015, airport officials formally announced the completion of the "CLT 2015" plan, and kicked off construction of the new Destination CLT airport development plan.[22] Destination CLT represents a total $2.5 billion investment into the future growth of the airport.
Concourse A North, a nine-gate expansion of Concourse A, was completed in summer 2018. Air Canada, JetBlue, United, Southwest, Frontier, and Spirit moved their operations to Concourse A North upon its completion.[23] A digital artwork titled "Interconnected," by Refik Anadol, is prominently featured on three massive display screens in Concourse A North. The artwork draws from the airport's data network of aircraft movements and turns the data into an always-changing visual artwork. The main 139-foot (42 m)-long screen is one of the largest digital artworks of its kind in the world.[24]
In late 2019, the new terminal roadway was opened. The new roadway has sixteen lanes over two levels, with departures traffic using the elevated level and arrivals traffic utilizing the ground level. The eight lanes on each level are split into five outer lanes for personal vehicles, and three inner lanes for commercial and airport vehicles.[25] Some components of the project, namely the skybridges from the hourly parking deck and rental car facility, the glass canopy over the roadway, and some lanes on the departure level will not be finished until the terminal lobby project is complete.[26]
In November 2019, the East Terminal Expansion opened. The expansion added 51,000 square feet (4,700 m2), primarily of passenger amenity space, across three levels. The main level of the expansion is "The Plaza," a food court. The Plaza's artistic centerpiece is a hanging artwork entitled "Loops" by Christian Moeller. "Loops" became a part of the project through a partnership between the airport and the Charlotte-Mecklenburg Arts and Science Council.[27] The upper level of the East Terminal Expansion includes a Centurion Lounge.
The airport announced that it had served 50.2 million passengers in 2019, a new record for the airport.[28]
Destination CLT includes a $90 million terminal renovation project of Concourses A, B, C, D, and the Atrium. Aspects of the renovations include the replacement of carpet with terrazzo, upgraded lighting, remodeled bathrooms, and new seats with charging in every seat.[29] Concourse B renovations wrapped up in 2019.[30]
With the conclusion of the terminal roadway and curb front construction, work on the terminal lobby renovation and expansion began. The $600 million project is projected to be completed in 2025. The project will consolidate existing security checkpoints A, B, C, D, and E into three larger and more efficient checkpoints. The baggage claim and ticketing areas will be completely gutted and remodeled. Raymond Kaskey's "Queen Charlotte" statue will be moved to a prominent position within the new "Queen's Court" area in the expanded lobby. After the lobby renovation and expansion is complete, a 146,000-square-foot (13,600 m2) glass canopy will be constructed over the roadway and pedestrian skybridges and tunnels will be built connecting the terminal to the hourly parking/rental car facility complex.[31]
Separate from the Destination CLT family of projects, the FAA is building a new 367-foot (112 m) control tower south of the CLT passenger terminal to replace the existing 150 feet (46 m) tower north of the terminal. When complete, the tower will be the second-tallest air traffic control tower in the United States and the ninth-tallest in the world.[32] The new tower is now functioning and in use.[33]
Future
Planning is currently underway for the construction of a fourth parallel runway between existing runways 18R/36L and 18C/36C. The runway, projected to cost $1 billion, is slated to be 10,000 feet (3,000 m) long. It broke ground in June 2023 and construction will complete in 2027.[34][35] Previously, a 12,000-foot runway had been planned; however, the airport reversed course due to practicality and cost considerations.[36]
Future terminal expansions included under the Destination CLT umbrella include Phase II of the Concourse A Expansion, Phase VIII of the Concourse E expansion, and expansions to Concourses B and C. These expansions are projected to cost roughly $1.1 billion and are not expected to be complete until 2026. 8-10 gates are expected to be added to Concourse B, 10-12 gates to Concourse C, and 10 gates in the expansion of Concourse A farther north. Phase VIII of the Concourse E expansion will add 34,000 square feet (3,200 m2) of hold room to the concourse. This phase of the expansion accommodates gates already in operation; however, passengers must walk under temporary canopies to access the aircraft parked at these gates.[37]
The construction of the CATS LYNX Silver Line, expected to be complete in 2030, will bring light rail service to the airport. The airport plans to construct an automated people mover to connect the terminal to the light rail station, which will be located at the airport's Destination District just north of the terminal.[38]
Facilities
Terminal
_15.jpg)
_10.jpg)
CLT has one terminal with 124 gates on five concourses.[39] All five concourses are connected to the central terminal building housing ticketing, security, and baggage claim.[39]
- Concourse A has 32 gates. The main pier serves American while the two Concourse A North extension piers serve United, Southwest, Spirit, Delta, Frontier, Sun Country, and Air Canada.[39]
- Concourse B has 16 gates and serves exclusively American mainline domestic flights.[39]
- Concourse C has 18 gates and serves exclusively American mainline domestic flights.[39]
- Concourse D has 13 gates and serves American, Lufthansa, and Volaris.[39] All international flights without customs preclearance are processed at Concourse D.
- Concourse E has 45 gates. Concourse E is the home of American Eagle's CLT operation, which is the largest express flight operation in the world. In spring of 2023, Contour, who has an interline agreement with American, moved its Essential Air Service flights into the E1-E3 gates in the concourse.[39]
American has two Admirals Club locations in Concourses B & C.[40] An American Express Centurion Lounge is located in the Plaza between Concourse D & E.[41] The Club CLT Lounge is located on the walkway to the A North Concourse. It is accessible to Priority Pass and Lounge Key passholders as well as individuals purchasing a day pass. A new 14,000 square-foot Delta Sky Club is located in the new expansion of Concourse A.[42]
Runways
CLT currently has three runways, with another under construction. [43]
| Runway | Length | Width | ILS | References |
|---|---|---|---|---|
| 18L/36R | 8,677 ft 2,645 m |
150 ft 46 m |
18L (Cat I), 36R (Cat IIIB) | [44][45][46] |
| 18C/36C | 10,000 ft 3,000 m |
150 ft 46 m |
18C (Cat I), 36C (Cat IIIB) | [46] |
| 18R/36L | 9,000 ft 2,700 m |
150 ft 46 m |
18R (Cat I), 36L (Cat IIIB) | [47][46][48] |
Ground transportation
The airport terminal is located on Josh Birmingham Parkway, which connects with Wilkinson Boulevard (to I-485 and Uptown Charlotte), Little Rock Road (to I-85) and Billy Graham Parkway (to I-77).
The Charlotte Area Transit System (CATS) operates two bus routes from the airport terminal: Route 5-Airport (Sprinter) to Uptown Charlotte/CTC and Route 60-Tyvola Road to LYNX Tyvola station.[49] There is also bus service to the air cargo center, maintenance facilities, and old terminal via Route 10-West Boulevard to the Charlotte Transportation Center in center city Charlotte.[50] The proposed Lynx Silver Line would serve the airport, traveling along a route that largely follows the Sprinter route.
Located in front of the airport terminal, the Rental Car Facility operates on the three lower levels of the Hourly Deck and has a combined 3,000 cars from eight rental car companies. The level 2 lobby includes customer counters and kiosks from the following companies: Advantage, Alamo, Avis, Budget, Dollar, Enterprise, Hertz and National.[51][52]
Other facilities
Charlotte Douglas International Airport is one of a small number of major "hub" airports in the world that has an aviation museum located on the field. Sullenberger Aviation Museum, established in 1992, has a collection of over 50 aircraft, including a DC-3 that is painted in Piedmont Airlines livery. The museum also has an aviation library with over 9,000 volumes and a very extensive photography collection. Rare aircraft in the collection include one of only two surviving Douglas D-558 Skystreak aircraft and the second (and oldest surviving) U.S.-built Harrier, which was used as the flight-test aircraft and accumulated over 5,000 flight-test hours. In January 2011, the museum acquired N106US, the US Airways Airbus A320 ditched by captain Chesley Sullenberger as US Airways Flight 1549 in the Hudson River on January 15, 2009. This aircraft, which was delivered on June 10, 2011, is about 35 years younger than any other commercial airliner on display in a museum.
Charlotte Douglas International Airport is one of the few airports in the United States with a public viewing area.[53] Here, visitors can watch planes land and taxi to and from runway 18R/36L in addition to providing a view of runway 18C/36C and concourse A. There are also bathroom facilities, a location for food trucks, a restored F-4 Phantom II on display and a children's playground. The Overlook is a popular spot for aviation enthusiasts and plane spotters.[54]
Charlotte Douglas International Airport is a smoke-free facility, which means that smoking is prohibited inside the terminal building, including all restaurants, bars, lounges, and airline clubs. This is in accordance with the North Carolina Smoke-Free Law, which bans smoking in most of the public places and workplaces. However, this does not mean that smokers have no options at CLT. The Charlotte airport smoking area[55] is easily accessible from inside and outside the terminal using the elevators or stairs near Door 1A or Door 1B.
Airlines and destinations
Passenger
Cargo
| Airlines | Destinations | Refs |
|---|---|---|
| Amazon Air | Cincinnati, Ontario, Riverside/March Air Base, San Juan | [97] |
| FedEx Express | Greensboro, Indianapolis, Memphis Seasonal: Newark | |
| UPS Airlines | Louisville, Philadelphia, Raleigh/Durham |
Statistics
_01.jpg)
_18.jpg)
_19.jpg)
_21.jpg)
Top destinations
| Rank | City | Passengers | Carriers |
|---|---|---|---|
| 1 | 848,000 | American, Frontier, Spirit | |
| 2 | 698,000 | American, Delta, Spirit, Frontier | |
| 3 | 665,000 | American, Spirit, Frontier | |
| 4 | 638,000 | American, Frontier, Spirit, United | |
| 5 | 615,000 | American, Delta, Spirit | |
| 6 | 576,000 | American, Frontier, Spirit | |
| 7 | 564,000 | American, Spirit | |
| 8 | 554,000 | American, Frontier, Spirit | |
| 9 | 540,000 | American, Frontier | |
| 10 | 518,000 | American |
| Rank | Airport | Passengers | % Change | Change in Rank | Carriers |
|---|---|---|---|---|---|
| 1 | 501,113 | American | |||
| 2 | 485,265 | American | |||
| 3 | 366,143 | American | |||
| 4 | 347,083 | American | |||
| 5 | 293,215 | Air Canada, American | |||
| 6 | 283,467 | American, Lufthansa | |||
| 7 | 219,786 | American | |||
| 8 | 209,074 | American | |||
| 9 | 190,354 | American | |||
| 10 | 172,623 | American |
Airline market share
| Rank | Airline | Passengers | Share |
|---|---|---|---|
| 1 | American Airlines | 33,977,000 | 69.64% |
| 2 | Spirit Airlines | 1,189,000 | 2.44% |
| 3 | Delta Air Lines | 1,099,000 | 2.25% |
| 4 | United Airlines | 990,000 | 2.03% |
| 5 | Southwest Airlines | 771,000 | 1.58% |
| Other | 10,762,000 | 22.06% |
Annual traffic
| Year | Passengers | Year | Passengers | Year | Passengers |
|---|---|---|---|---|---|
| 2000 | 23,073,894 | 2010 | 38,254,207 | 2020 | 27,205,082 |
| 2001 | 23,177,555 | 2011 | 39,043,708 | 2021 | 43,302,230 |
| 2002 | 23,597,926 | 2012 | 41,228,372 | 2022 | 47,758,605 |
| 2003 | 23,062,570 | 2013 | 43,456,310 | 2023 | 53,446,295 |
| 2004 | 25,162,943 | 2014 | 44,279,504 | 2024 | 58,811,725 |
| 2005 | 28,206,052 | 2015 | 44,876,627 | 2025 | |
| 2006 | 29,693,949 | 2016 | 44,422,022 | 2026 | |
| 2007 | 33,165,688 | 2017 | 45,909,899 | 2027 | |
| 2008 | 34,739,020 | 2018 | 46,444,380 | 2028 | |
| 2009 | 34,536,666 | 2019 | 50,168,783 | 2029 |
Accidents and incidents
- On May 24, 1950, a Grumman Mallard operated by Ford Motor Company crashed during takeoff. One occupant was killed.[103]
- On September 11, 1974, Eastern Air Lines Flight 212 crashed on final approach en route from Charleston, South Carolina. The NTSB determined that the probable cause of the accident was a "lack of altitude awareness" of the pilots at critical points during the approach. Of 82 people on board, only 13 survived the crash and fire; three of those died within a month of the accident.[104]
- On October 25, 1986, Piedmont Airlines Flight 467 overran the runway, damaging the airplane beyond repair. Of the 119 people on board, three passengers sustained serious injuries, and three crew members and 28 passengers sustained minor injuries in the incident. There were no fatalities.[105] An NTSB report was released, which concluded that "crew coordination was deficient due to the first officer's failure to call the captain's attention to aspects of the approach that were not in accordance with Piedmont operating procedures."[106]
- On January 19, 1988, a Mountain Air Cargo De Havilland Canada DHC-6 Twin Otter 200 (N996SA), on a flight from Erie, Pennsylvania, collided with a tree when attempting to approach the 36L runway. One crew member was seriously injured.[107]
- On July 2, 1994, USAir Flight 1016, which originated in Columbia, South Carolina, crashed in a residential area on approach, killing 37. The crash of the DC-9 was attributed to windshear during a thunderstorm.
- On December 10, 1997, a Beechcraft King Air, operated by Spitfire Sales and Leasing crashed on approach to runway 36L colliding with trees and the ground. One crewmember was killed.[108]
- On January 8, 2003, US Airways Express Flight 5481 crashed on takeoff while en route to Greenville-Spartanburg International Airport, killing all 21 people aboard. The flight was operated by Air Midwest, an independent airline operating under a US Airways Express codesharing agreement. The cause of the accident was due to the center of gravity (CG) calculations used a reference from 1936 and didn't take into account that people in general had become bigger over time. This resulted in the 23 checked bags - two of which were exceptionally heavy- moving the CG 5% further aft than allowed. Additionally, maintenance to the elevator cables 3 days before, during routine check by a 3rd party contractor, were done incorrectly by a mechanic in training who had not worked on this type of aircraft before, and was talked through it by the instructing maintenance supervisor - who was also the quality assurance inspector. He left out several critical steps when talking the mechanic trainee through the process. This limited the pitch down on the aircraft and prevented the cockpit crew from correcting the CG problem. Since the plane had already had 8 previous cycles after the scheduled maintenance, it was determined that just the CG miscalculation OR the improper setting of the elevator cable would not have caused the crash. Only the two issues together caused the crash.[109]
- On February 15th, 2017, a CRJ-700, operated by American Eagle, struck a deer while taking off. The aircraft declared an emergency and returned to Charlotte due to a fuel leak. None of the 44 passengers or crew were injured.[110]
- On June 28, 2023, a Delta Air Lines Boeing 717 from Atlanta landed at CLT without its nose gear deployed on runway 36L. None of the 101 passengers and crew on board were injured.[111]
References
- ^ "CLT Monthly Activity Reports 2018-2024". cltairport.com. Retrieved February 12, 2025.
- ^ "CLT Airport Sets Record With 58.8 Million Passengers in 2024". cltairport.com. Retrieved February 12, 2025.
- ^ "City of Charlotte - Aviation". City of Charlotte. Archived from the original on July 27, 2020. Retrieved June 2, 2020.
- ^ FAA Airport Form 5010 for CLT PDF, effective July 10, 2025.
- ^ "CLT airport data at skyvector.com". skyvector.com. FAA data effective July 10, 2025.
- ^ "Charlotte Douglas International Airport Fast Facts" (PDF). City Newsroom. City of Charlotte. Archived (PDF) from the original on January 5, 2022. Retrieved January 5, 2022.
- ^ "50.2 Million Passengers in 2019 a New Record" (Press release). Charlotte: Charlotte Department of Aviation. March 3, 2020. Archived from the original on April 27, 2020. Retrieved March 3, 2020.
- ^ "ACI Statistics April 2017". Airport Council International. April 19, 2017. Archived from the original on April 26, 2017. Retrieved September 11, 2017.
- ^ Reed, Ted. "Denver And Charlotte Were Airport Traffic Winners In 2021, With Denver Ranked Third In The World". Forbes. Archived from the original on April 19, 2022. Retrieved April 19, 2022.
- ^ "Charlotte Air National Guard Base". Archived from the original on February 18, 2020. Retrieved February 18, 2020.
- ^ a b "W.P.A. / Douglas Airport Hangar". www.cmhpf.org. Archived from the original on May 15, 2018. Retrieved July 16, 2018.
- ^ Eastern's 720s are not in the QR OAG for January 15, 1962, and are in the one for February 1.
- ^ "To Douglas Municipal Airport Effective April 15, 1975". www.departedflights.com. Archived from the original on July 17, 2018. Retrieved July 16, 2018.
- ^ "Airlines and Aircraft Serving Charlotte Effective April 15, 1975". www.departedflights.com. Archived from the original on July 17, 2018. Retrieved July 16, 2018.
- ^ "Charlotte Douglas Municipal Airport – 1979". DepartedFlights.com. Archived from the original on November 17, 2015. Retrieved September 11, 2015.
- ^ a b "Charlotte Douglas International Airport Model". Archived from the original on June 13, 2013. Retrieved June 6, 2015.
- ^ "Charlotte/Douglas International Airport Concourses D & E Expansion". LS3P Associates Ltd. Archived from the original on May 22, 2014. Retrieved November 1, 2013.
- ^ "Fast Facts". City of Charlotte & Mecklenburg County Government. Archived from the original on June 27, 2010. Retrieved March 27, 2013.
- ^ "Accounting Treatment". U.S. Securities and Exchange Commission. September 20, 2005. p. 82. Archived from the original on July 7, 2017. Retrieved March 27, 2013.
- ^ "CLT 2015". www.cltairport.com. Archived from the original on February 7, 2017. Retrieved February 7, 2017.
- ^ "Airport Construction Projects Update". City of Charlotte & Mecklenburg County Government. Archived from the original on February 10, 2010. Retrieved August 31, 2009.
- ^ "Charlotte airport kicks off major new round of construction projects". charlotteobserver.com. Archived from the original on October 5, 2016. Retrieved October 3, 2016.
- ^ Portillo, Ely. "Charlotte's airport manages 'tricky balance' between low-cost hub and fancy new gates". The Charlotte Observer. McClatchy. Archived from the original on September 16, 2020. Retrieved May 12, 2020.
- ^ "Destination CLT". CLT Airport. Archived from the original on April 22, 2020. Retrieved May 12, 2020.
- ^ "Destination CLT - Elevated Roadway and Terminal Curb Front". CLT Airport. Archived from the original on April 22, 2020. Retrieved May 12, 2020.
- ^ "CLT Airport Breaks Ground on New Terminal Expansion Project". Spectrum News. Archived from the original on February 29, 2020. Retrieved May 12, 2020.
- ^ "Destination CLT - East Terminal Expansion - The Plaza". CLT Airport. Archived from the original on April 22, 2020. Retrieved May 12, 2020.
- ^ "50.2 Million Passengers in 2019 A New Record". CLT Airport Mediaroom. Archived from the original on April 27, 2020. Retrieved May 12, 2020.
- ^ "Destination CLT - Terminal Renovations". CLT Airport. Archived from the original on April 22, 2020. Retrieved May 12, 2020.
- ^ "Charlotte Douglas International Airport Completes Concourse B Renovations". CLT Airport Mediaroom. Archived from the original on July 27, 2020. Retrieved May 12, 2020.
- ^ "Destination CLT - Terminal Lobby Expansion". CLT Airport. Archived from the original on April 22, 2020. Retrieved May 12, 2020.
- ^ "World's sky-high air traffic control towers". panethos.wordpress.com. February 22, 2014. Archived from the original on August 6, 2017. Retrieved February 23, 2022.
- ^ "Destination CLT - Other Projects". CLT Airport. City of Charlotte. Archived from the original on April 22, 2020. Retrieved May 14, 2020.
- ^ Spanberg, Erik (June 9, 2023). "Charlotte Douglas International Airport projects big increase in peak air traffic with new runway". Charlotte Business Journal. Retrieved June 20, 2023.
- ^ "Destination CLT - Fourth Parallel Runway". CLT Airport. Archived from the original on April 22, 2020. Retrieved May 12, 2020.
- ^ Martin, Jenna. "What's changed in plans for new runway at Charlotte". Charlotte Business Journal. Archived from the original on January 24, 2021. Retrieved May 12, 2020.
- ^ "Destination CLT". CLT Airport. City of Charlotte. Archived from the original on April 22, 2020. Retrieved May 12, 2020.
- ^ Harrison, Steve. "Charlotte studying how to bring rail to the airport". The Charlotte Observer. McClatchy. Archived from the original on August 17, 2020. Retrieved May 28, 2020.
- ^ a b c d e f g "Charlotte Douglas Airport Terminal Map". ifly.com. Archived from the original on April 10, 2021. Retrieved March 21, 2021.
- ^ "CLT Admirals Clubs". American Airlines. Archived from the original on December 30, 2018. Retrieved March 21, 2021.
- ^ Rosen, Eric. "American Express Centurion Lounge Opens At Charlotte Douglas Airport". Forbes. Archived from the original on June 4, 2020. Retrieved May 12, 2020.
- ^ "Delta Sky Club® Arrives at CLT". www.cltairport.com. February 12, 2025. Retrieved May 20, 2025.
- ^ "AirNav: Charlotte/Douglas International Airport". AirNav.com. Archived from the original on February 20, 2025. Retrieved February 20, 2025.
- ^ "CLT-36R". Airport-Data.com. Archived from the original on June 7, 2020. Retrieved June 7, 2020.
- ^ "CLT-18L". Airport-Data.com. Archived from the original on June 7, 2020. Retrieved June 7, 2020.
- ^ "CLT-18R". Airport-Data.com. Archived from the original on June 7, 2020. Retrieved June 7, 2020.
- ^ "CLT-36L". Airport-Data.com. Archived from the original on June 7, 2020. Retrieved June 7, 2020.
- ^ "Airport Sprinter". Charlotte Center City. Archived from the original on January 22, 2019. Retrieved January 22, 2019.
- ^ "CATS: Routes and Schedules". City of Charlotte. Archived from the original on August 3, 2019. Retrieved June 30, 2019.
- ^ "Charlotte Douglas International Airport Rental Car Facility & Hourly Parking Deck". LS3P Associates Ltd. Archived from the original on June 30, 2019. Retrieved June 30, 2019.
- ^ "Charlotte Douglas International Airport - Ground Transportation - Rental Cars". CLT Airport. Archived from the original on June 30, 2019. Retrieved June 30, 2019.
- ^ "Charlotte's Got a Lot: CLT Airport Overlook".
- ^ "Charlotte Airport (CLT) Overlook: The Complete Guide". Archived from the original on November 29, 2020. Retrieved March 21, 2021.
- ^ "Charlotte Airport (CLT) Smoking Area with Map". September 16, 2023.
- ^ "Air Canada NS25 A220 US Network Additions". Retrieved January 18, 2025.
- ^ a b "Flight Schedules". Archived from the original on March 30, 2017. Retrieved April 2, 2017.
- ^ "American Airlines Adds New Charlotte to Orange County Route".
- ^ "American Airlines Is Adding 5 New Routes to Europe — See Where". Travel+Leisure. September 5, 2024. Retrieved September 5, 2024.
- ^ a b "American NS24 Charlotte Domestic Routes Addition". Aeroroutes. Retrieved December 28, 2023.
- ^ "American Adds Seasonal Charlotte – Calgary Service From June 2024". Aeroroutes. Retrieved December 24, 2023.
- ^ "American Airlines resumes Dublin-US summer routes early".
- ^ https://www.charlotteobserver.com/news/business/article310131405.html.
{{cite web}}: Missing or empty|title=(help) - ^ https://www.msn.com/en-us/travel/news/american-adds-new-route-bolsters-another/ar-AA1KKza8?ocid=msedgntp&pc=U531&cvid=68a37eaca41d4c35859ec9778aa931d7&ei=28
- ^ "American Airlines NS23 Intercontinental Network Changes - 10DEC22". AeroRoutes. December 11, 2022. Retrieved December 17, 2022.
- ^ "American Airlines Enhances Winter Schedule with 8 Exciting New Routes to Latin America and the Caribbean". Travel and Tour World. May 16, 2024. Retrieved May 17, 2024.
- ^ "American Airlines adds nonstop Charlotte flight to popular Canadian city for first time". CharlotteObserver. October 12, 2023. Retrieved November 7, 2023.
- ^ a b "Flight schedules and notifications". Archived from the original on February 2, 2017. Retrieved April 18, 2021.
- ^ Gretchen Teske (July 13, 2023). "Quad Cities International Airport lands flight to Charlotte, takes off Dec. 20". Quad-City Times. Retrieved July 15, 2023.
- ^ "American 2023 US Routes Service Resumption Summary – 01JAN23". Aeroroutes. Retrieved January 3, 2023.
- ^ "American Airlines Adds 8 New Routes For Winter 2025-26". Aviation A2Z. March 26, 2025. Retrieved March 26, 2025.
- ^ "AMERICAN ADDS CHARLOTTE – GOVERNOR'S HARBOUR IN NW24". AeroRoutes. July 8, 2024. Retrieved July 8, 2024.
- ^ "American Adds Charlotte – Quebec City From August 2024". Aeroroutes. Retrieved February 11, 2024.
- ^ "Contour Airlines Adds Charlotte – Altoona in 4Q24". Aeroroutes. Retrieved August 2, 2024.
- ^ "Route Map". Contour Airlines. Retrieved April 22, 2024.
- ^ "2022-8-24 Order Selecting Air Carrier". September 1, 2022.
- ^ "2022-8-21 Order Selecting Air Carrier". August 29, 2022.
- ^ a b "FLIGHT SCHEDULES". Archived from the original on June 21, 2015. Retrieved April 2, 2017.
- ^ a b "Delta Airlines Route Map". Archived from the original on December 28, 2021. Retrieved December 12, 2021.
- ^ "Etihad Plans Abu Dhabi – Charlotte mid-2Q26 Launch". Aeroroutes. Retrieved May 16, 2025.
- ^ "Frontier Airlines Announces New Routes Across Nine Airports". Travel and Tour World. Retrieved June 13, 2024.
- ^ a b c "Frontier Airlines Announces New Routes, Expanding Operations Across 38 Airports". Benzinga. Retrieved January 23, 2024.
- ^ "Frontier Airlines Announces New Service from San Juan to Barbados and Santiago, Dominican Republic, Plus Charlotte to Miami".
- ^ https://www.wfla.com/news/hillsborough-county/frontier-announces-new-route-from-tampa-with-intro-fares-starting-at-29/?fbclid=IwY2xjawIPqEhleHRuA2FlbQIxMAABHaYb1uDsTPrGcc2GOd5qX_W99vYt3XSjxogkZ3ArPnki3qrP-OlGixBK0g_aem_Lv8qTrPmJfC3AzlLR9UWjw
- ^ "Route Map | Frontier Airlines". Frontier Airlines. Archived from the original on November 1, 2018. Retrieved October 31, 2018.
- ^ "Timetable". Archived from the original on January 26, 2017. Retrieved April 2, 2017.
- ^ "Southwest Airlines - Check Flight Schedules". www.southwest.com. Archived from the original on May 29, 2020. Retrieved May 28, 2020.
- ^ "Spirit Airlines Expands with 20+ New Routes". Aviation A2Z. March 7, 2025. Archived from the original on March 8, 2025. Retrieved March 7, 2025.
- ^ "Spirit Airlines Expands with 20+ New Routes". Aviation A2Z. March 7, 2025. Archived from the original on March 8, 2025. Retrieved March 7, 2025.
- ^ "Spirit Airlines Expands with 20+ New Routes". Aviation A2Z. March 7, 2025. Archived from the original on March 8, 2025. Retrieved March 7, 2025.
- ^ a b "Spirit Airlines NS25 Network Additions – 09MAR25". Aeroroutes. Retrieved March 10, 2025.
- ^ "Spirit Airlines to operate new nonstop route from CLT to popular tourist city". August 14, 2024.
- ^ "Spirit Airlines Route Map". Archived from the original on December 23, 2017. Retrieved June 22, 2019.
- ^ "Route Map". Archived from the original on August 15, 2018. Retrieved January 25, 2021.
- ^ a b "Timetable". Archived from the original on January 28, 2017. Retrieved April 2, 2017.
- ^ "Volaris | Our Destinations". Archived from the original on November 1, 2018. Retrieved October 31, 2018.
- ^ "Amazon Air cleared for 5 cargo flights a day from March Air Reserve Base". Press Enterprise. August 2018. Archived from the original on July 28, 2019. Retrieved August 4, 2018.
- ^ "RITA | BTS | Transtats". Bureau of Transportation Statistics. Retrieved March 18, 2024.
- ^ "International_Report_Passengers | Department of Transportation - Data Portal". data.transportation.gov. Archived from the original on July 19, 2019. Retrieved July 25, 2021.
- ^ "Bureau of Transportation Statistics". transtats.bts.gov. Archived from the original on January 11, 2008. Retrieved June 16, 2023.
- ^ "50.2 Million Passengers in 2019 a New Record". March 3, 2020. Archived from the original on April 27, 2020. Retrieved March 3, 2020.
- ^ "CLT Passenger Stats for 2022". cltairport.com. Retrieved February 9, 2023.
- ^ Ranter, Harro. "ASN Aircraft accident Grumman G-73 Mallard N2941 Charlotte-Douglas Airport, North Carolina (CLT)". aviation-safety.net. Archived from the original on March 13, 2016. Retrieved June 4, 2019.
- ^ "Eastern 212 Accident Report" (PDF). National Transportation Safety Board. May 23, 1975. Archived (PDF) from the original on June 15, 2010. Retrieved March 22, 2009.
- ^ "Event Details". Fss.aero. October 25, 1986. Archived from the original on March 2, 2012. Retrieved August 27, 2012.
- ^ "DCA87AA006.aspx". www.ntsb.gov. Retrieved July 8, 2023.
- ^ "Accident description". AviationSafety.net. Archived from the original on October 10, 2012. Retrieved November 26, 2006.
- ^ Ranter, Harro. "ASN Aircraft accident Beechcraft A100 King Air N30SA Charlotte-Douglas International Airport, North Carolina (CLT)". aviation-safety.net. Archived from the original on March 13, 2016. Retrieved June 4, 2019.
- ^ "Final Minutes Of Flight 5481 - CBS News". CBS News. Associated Press. May 20, 2003. Archived from the original on March 27, 2020. Retrieved March 27, 2020.
- ^ "Plane hits deer at Charlotte's airport, forces emergency landing". WSOC TV. February 15, 2017. Retrieved February 7, 2025.
- ^ Coin, Julia (June 28, 2023). "Delta plane lands safely at CLT airport despite loss of landing gear. Flight delays grow - The Charlotte Observer". The Charlotte Observer. Retrieved June 28, 2023.
External links
- Official website
- "Charlotte Douglas International Airport (CLT)" (PDF). at North Carolina DOT airport guide
- FAA Airport Diagram (PDF), effective August 7, 2025
- FAA Terminal Procedures for CLT, effective August 7, 2025
- Resources for this airport:
- AirNav airport information for KCLT
- ASN accident history for CLT
- FlightAware airport information and live flight tracker
- NOAA/NWS weather observations: current, past three days
- SkyVector aeronautical chart for KCLT
- FAA current CLT delay information


