Tampa International Airport

Tampa International Airport
Aerial photo of Tampa International Airport taken October 19, 2022
Summary
Airport typePublic
Owner/OperatorHillsborough County Aviation Authority
ServesTampa Bay Area
LocationTampa, Florida, U.S.
OpenedApril 15, 1971 (1971-04-15)
Operating base for
Elevation AMSL26 ft / 8 m
Coordinates27°58′47″N 82°32′5″W / 27.97972°N 82.53472°W / 27.97972; -82.53472
Websitetampaairport.com
Maps
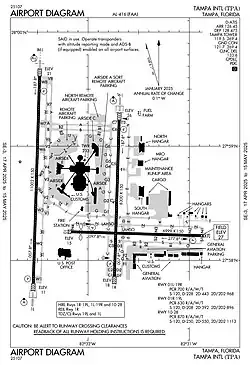
FAA airport diagram
FAA airport diagram
Runways
Direction Length Surface
ft m
10/28 6,999 2,133 Concrete
19L/1R 8,300 2,530 Asphalt/concrete
19R/1L 11,002 3,353 Asphalt/concrete
Helipads
Number Length Surface
ft m
H1 100 30 Asphalt
Statistics (2024)
Total passengers24,756,631
Aircraft operations230,219
Total cargo and mail229,000,959 lbs.
Based aircraft (2023)76

Tampa International Airport (IATA: TPA, ICAO: KTPA, FAA LID: TPA) is an international airport six miles (9.7 km) west of Downtown Tampa, in Hillsborough County, Florida, United States. The airport is publicly owned by Hillsborough County Aviation Authority (HCAA).[1] The airport serves 100 non-stop destinations throughout North America, South America, the Caribbean and Europe across multiple carriers.[4]

History

Flying boat

Tampa Bay is the birthplace of commercial airline service, when pioneer aviator Tony Jannus flew the inaugural flight of the St. Petersburg–Tampa Airboat Line on January 1, 1914, from St. Petersburg to Tampa using a Benoist Flying Boat—the first scheduled commercial airline flight in the world using a heavier-than-air airplane.[5]

Drew Field

World War II postcard from Drew Army Airfield

In 1928, the city completed the 160-acre (65 ha) Drew Field six miles (9.7 km) west of Downtown Tampa. It was named for local developer John H. Drew, who formerly owned the land on which the airport stood. The more popular Peter O. Knight Airport was opened on Davis Islands near Downtown Tampa in 1935, where both Eastern and National Airlines operated until 1946.

The United States Army Air Corps began negotiating for the use of Drew Field in 1939 during the buildup of military forces prior to World War II. In 1940, the City of Tampa leased Drew Field to the U.S. Government for 25 years, or until the end of the "national emergency". During the war, the United States Army Air Forces expanded and modernized the airport. The airfield was used by the Third Air Force and renamed it Drew Army Airfield. The Third Air Force used it as a training center by 120,000 combat air crews, primarily in bomber aircraft for the European and Pacific theaters, and also flew locally based antisubmarine patrols from the airfield until that mission was fully taken over by Naval Aviation assets of the U.S. Navy and U.S. Coast Guard. There was one mishap in 1943 that killed five fliers.[6] Despite this, Drew Field set a safety record for the Third Air Force in 1945 after 100,000 flying hours had been completed over a period of 10 months without a fatal incident. The aircraft operated included the Boeing B-17 Flying Fortress, Douglas C-47 Skytrain, North American AT-6, North American B-25 Mitchell, and others.[7]

After World War II, the Army Air Forces vacated the facility and Drew Field was returned to the City of Tampa. The Peter O. Knight Airport and Drew Field reversed roles as the main Tampa airport because Drew Field was greatly expanded by the United States Army Air Forces during the war years. Airlines (Eastern Air Lines and National Airlines) moved to Drew Field from Peter O. Knight Airport on Davis Island, which was too small to handle the Douglas DC-4, DC-6 and Lockheed Constellation prop-liners then coming on line in the mid-1940s. During this period, the airlines were housed in the former Drew AAF Base Operations building.[8]

Tampa International Airport

Tampa Airport Marriott and air traffic control tower

Trans Canada Airlines international flights began in 1950 and Drew Field was renamed Tampa International Airport. The airport's second terminal opened in 1952 near the intersection of Columbus Drive and West Shore Blvd. The April 1957 Official Airline Guide shows 30 departures a day on Eastern Air Lines: nonstops to Chicago-Midway, Detroit (Willow Run), Cleveland, New York Idlewild (now JFK), Boston, seven nonstops to Atlanta and 18 within Florida. National Airlines had 26 departures, including seven nonstops beyond Florida to Houston Hobby, Havana, Washington National, New York/Idlewild and three to New Orleans. Trans-Eastern had 12 departures and Mackey had two DC-3s, none nonstop beyond Florida. Trans-Canada had thirteen nonstops a week to Toronto or Montreal.

The 1952 terminal, built for three airlines, was swamped after the Civil Aeronautics Board granted Capital, Delta, Northeast, Northwest and Trans World Airlines authority to fly from Tampa in the late 1950s. An annex was built east of the terminal for the new carriers. Turbine-powered flights began in 1959 on Eastern Air Lines' L-188 Electra; in 1960 National, Eastern and Delta Air Lines began jet flights with the Douglas DC-8 (Delta was first, with a Chicago nonstop in May or June). National DC-8 nonstops to Los Angeles and weekly Pan American jets to Mexico City (MIA-TPA-MID-MEX) started in 1961. The 1952 terminal was congested as larger jets replaced piston airliners and it was again expanded.

During the early 1960s, the aviation authority began planning a replacement terminal in an undeveloped site at the airport. Airport leaders chose the Landside/Airside design in 1965 after a study. Construction on the new terminal designed by Reynolds, Smith & Hills began in 1968 between the airport's parallel jet-capable runways.[9] Days before its opening, the terminal was dedicated by Florida Governor Reubin Askew and 60,000 people toured the new facility during a two-day open house. The terminal opened for passenger traffic on April 15, 1971 with four airside satellites (Airsides B, C, D, and E).[10] National Airlines Flight 36 from Los Angeles was the first to arrive at the terminal; after touching down at 05:26 A.M., the jet taxied to Airside E.

The graphics and signage system designed by Jane Davis Doggett used red for one group of airlines and blue for another.[11] The red/blue color scheme began on the highway outside the airport and helped guide drivers to the proper dropoff areas for each airline, then continued to guide passengers through the airport itself and ultimately to their gate.[12] The Tampa Airport was the first airport to use this sort of color-coded wayfinding signage system which was safer for drivers and required many fewer signs than highway engineers had originally budgeted for.[13]

The logo, used since the new airport opened in 1971, represents the blue waters of Tampa Bay with a jetliner flying into the downtown Tampa sunset. It is known as the "Spirit of Flight". The jetliner was modeled after those once used for supersonic transport—at the time the logo was created in the 1970s, it was during an era when it was thought that supersonic aircraft would replace conventional jets as a mode of air travel.

In its early years, the 1971 terminal would also see large amounts of tourists heading to Walt Disney World, which also opened in 1971. This was due to the fact that Orlando International Airport (known then as Orlando Jetport at McCoy) was much smaller at the time with a more limited capacity.[14] Shawnee Airlines offered connecting flights from Tampa to the now-defunct Walt Disney World Airport in the 1970s.[10] Orlando International opened its current terminal in 1981 using the same well-received landside/airside layout as Tampa International Airport.[15]

On July 15, 1972, the 207-foot-tall (63 m) air traffic control tower opened, the tallest in the United States at the time. The Host/Marriott Airport Hotel and its revolving rooftop restaurant opened in December 1973, with triple-paned windows and sound-proof guest rooms.

Northwest Airlines and National Airlines brought the jumbo jet to the airport late in 1971 with the introduction of the Boeing 747 and McDonnell Douglas DC-10. This was followed by the L-1011 Lockheed Tristar a year later by Eastern Air Lines. National Airlines began trans Atlantic DC-10 service to Amsterdam and Paris in 1977.

Recent history

During the following decades, the airport was expanded to handle more traffic and additional airlines. In 1987, the terminal received its first major expansion with the opening of Airside F. Airside B closed permanently in 1991 following the demise of Eastern Air Lines. Airside A was subsequently built and opened in 1995. In 1996, Airsides C and D were temporarily closed and remodeled, and the interiors of both satellites were refurbished. During this time, all the airlines from both facilities were housed in Airside E. Upon completion of the renovations, the airlines returned to their original locations, and Airside E was permanently closed. Airside E sat dormant for a few years before eventually being demolished, with the current Airside E opening in 2002. The Landside Terminal was also remodeled multiple times during the 1980s and 1990s. Airside C and the abandoned Airside B were demolished in the mid-2000s, with the current Airside C opening in 2005. Airside D, the last original airside, was then closed permanently and was demolished in 2007.[16][17] A new Airside D is currently under construction and is set to open in 2028.[18]

Both Delta Air Lines and US Airways opened maintenance bases at the airport. Both bases closed during the air travel downturn following the attacks of September 11, 2001. Alabama-based Pemco World Air Services now occupies the former US Airways hangar performing MRO (maintenance, repair, overhaul) services for the Spirit Airlines and JetBlue A320 fleet.[19] On April 1, 2010 a press release announced that a lease agreement was reached to allow Pemco to lease the second hangar formerly used by Delta Air Lines, where they perform Boeing 737 cargo conversions and modifications.[20]

Phase I of the economy parking garage was completed in November 2005.[21] Phase II of the economy garage opened ahead of schedule in November 2005, bringing a total of 5,600 parking spaces.[22]

On March 7, 2011, federal officials gave TPA the green light to begin charter flights to Cuba as an official entry/exit point.[23][24]

In 2007 and 2008, Zagat Survey ranked TPA the Best Overall U.S. Airport, while placing it second-best overall in 2009 and 2010. In 2008 Condé Nast Traveler recognized TPA as the second-best airport in the world, just two tenths of a point behind the first-place winner. JD Power and Associates have also given TPA Airport consistently high customer-satisfaction ratings over the years. In November 2011, CNN ranked TPA sixth among ten of the world's most loved airports, being the only one on the list from the US.[25] In 2016, it was named one of the Top 3 airports in the country by Condé Nast.[26] In 2020 Airports Council International named TPA the best airport in North America for its size.[27] In 2024, Travel+Leisure ranked TPA the eighth best domestic airport in the US. Criteria for the rankings were based on access, check-in, restaurants,shopping, and design, and rated from excellent to poor. Readers of the magazine were involved in the survey. Palm Beach International Airport, another Florida airport, made the list (#3) as well.[28]

In August 2022, a 21-foot flamingo sculpture named HOME nicknamed "Phoebe", was installed and opened in Tampa International Airport's main terminal. The design from American artist Matthew Mazzotta was chosen out of 734 art proposals submitted from around the world.

In February 2024, Joe Lopano, the CEO credited with leading Tampa's improvement as a hub, announced plans to retire. At the same time, the airport's board announced it would be undergoing an internal search for a replacement.[29]

Currently, plans are underway to construct a new Airside D in the northwest area of TPA. This new airside will feature 16 gates to handle both international and domestic flights, as well as two new airline lounges, one of which will be operated by Delta Airlines, the anchor tenant of Airside D.[30] It will help TPA serve up to 35 million annual passengers by 2037. Groundbreaking of the airside occurred in December 2024, with the airside scheduled to open to the public in 2028.[31]

On February 3, 2025, it was announced that Delta Airlines was selected to be the anchor tenant of the new Airside D, and operate one of the airside's two lounge spaces.[32]

Facilities

Terminal

Airside A (top), Airside C (top-center), Airside E (bottom-center), Airside F (bottom)

Tampa International Airport's Landside/Airside terminal was the first of its type in the world.[33] There is a central Landside Terminal where baggage and ticketing functions take place. The Landside Terminal is surrounded by four Airside satellites where airliner embarkment and disembarkment occur. Each Airside is connected to the Landside Terminal via an elevated automated people mover (APM) system which employs 16 Bombardier Innovia APM 100 Shuttle Cars, which are in the process of being replaced to Bombardier Innovia APM 300R C801B. TPA was the first airport in the world to deploy a fully automated, driver-free people mover system and is host to Bombardier Transportation's longest-running APM system. There are four active airsides (A, C, E, and F) with 59 gates.[34] All were constructed after 1985 and all airsides include a food court and gift shop, as well as outdoor smoking patios. Airsides E and F contain duty-free shops in addition to the regular gift shops to serve passengers arriving or departing on international flights.[35][36]

Additionally, a fifth airside (Airside D) is currently under construction as part of the airport's Master Plan Phase III.[37]

Runways

Tampa International Airport covers an area of 3,300 acres (13 km2) at an elevation of 26 feet (7.9 m) above mean sea level. It has three runways: 10/28 is 6,999 by 150 feet (2,133 × 46 m) with an Asphalt/concrete surface; 19L/1R is 8,300 by 150 feet (2,530 × 46 m) with an Asphalt/concrete surface; 19R/1L is 11,002 by 150 feet (3,353 × 46 m) with a concrete surface.[1][41] On January 13, 2011 the runway designations changed due to a shift in the magnetic headings. 09/27 became 10/28, 18R/36L became 1L/19R, 18L/36R became 1R/19L.[42]

Service building

When the airport opened its doors in 1971, the service building went into operation as well. It housed the first communications center, police dispatch, employee cafeteria and maintenance locker rooms. The building is located across from the Red Baggage and Ticketing levels. It was primarily intended to house mechanical equipment such as the chiller plant and electrical transformers. Since then it has been expanded to two levels which was in the original design in 1968. Today it houses the original facilities with the addition of offices, rental car counters, badging and a receptionist desk. The police department/lost and found has a lobby on level two (ticketing level) for walk-in lost & found requests.

Ground transportation

On February 14, 2018, a new 2.6-million-square-foot Rental Car Center with space for 5,300 vehicles, was opened to the public. The new combined service and maintenance facility is located near the southern edge of airport property and is connected to the terminal via a new train called SkyConnect. Unlike the landside/airside shuttles, SkyConnect uses Mitsubishi Crystal Mover vehicles. The trains run between the three stations in a pinched-loop configuration. Passengers on most domestic flights also have the ability to check their luggage inside the Rental Car Center. Rental car services were originally located adjacent to the Landside terminal, near the long-term-parking structure; however, relocation was necessary to accommodate more cars and rental car companies as the facilities were at or near capacity.[43]

On the southwest end of the Rental Car Center is a canopy and platform that is used for both Hillsborough Area Regional Transit and Pinellas Suncoast Transit Authority bus services. The bus hub is accessible via a bank of elevators that connect directly to the Rental Car Center and is steps away from the SkyConnect station. With the upcoming 2nd phase of expansion at the airport, the intent is to expand upon the existing platform to eventually allow bus services from Pasco and perhaps even Hernando Counties to connect into the airport directly. The land immediately to the south of the Rental Car Center can also be configured for future light rail or commuter rail services if plans come to fruition.

Airlines and destinations

Passenger

AirlinesDestinationsRefs
Aeroméxico Mexico City [44]
Air Canada Montréal–Trudeau, Toronto–Pearson
Seasonal: Vancouver[45][46]
[47]
Air Canada Rouge Toronto–Pearson
Seasonal: Halifax, Ottawa
[47]
Alaska Airlines San Diego, Seattle/Tacoma
Seasonal: Los Angeles, Portland (OR), San Francisco
[48]
American Airlines Charlotte, Chicago–O'Hare, Dallas/Fort Worth, Miami, New York–LaGuardia,[49] Philadelphia, Phoenix–Sky Harbor, Washington–National [50]
American Eagle Miami, Nashville [51]
Avelo Airlines New Haven, Wilmington (DE), Wilmington (NC) [52]
Avianca Bogotá [53]
Breeze Airways Akron/Canton, Bangor,[54] Charleston (SC), Charleston (WV) (resumes October 3, 2025),[55] Fayetteville/Bentonville, Greenville/Spartanburg,[56] Gulfport/Biloxi, Hartford, Huntsville, Key West,[57] Lansing (begins October 1, 2025),[58] Madison, Memphis,[59] Myrtle Beach,[60] New Orleans,[61] Norfolk, Pensacola,[62] Portland (ME), Providence, Raleigh/Durham, Richmond, Rochester (NY) (begins October 1, 2025),[58] Syracuse, Wilkes-Barre/Scranton[63] Wilmington (NC) (begins October 2, 2025)[58]
Seasonal: Burlington (VT), Erie,[64] Orange County,[56] Pittsburgh
[65]
British Airways London–Gatwick [66]
Cayman Airways Grand Cayman [67]
Copa Airlines Panama City–Tocumen [68]
Delta Air Lines Amsterdam,[69] Atlanta, Austin,[70] Boston, Cincinnati, Detroit, Los Angeles, Minneapolis/St. Paul, New York–JFK, New York–LaGuardia, Raleigh/Durham, Salt Lake City, Seattle/Tacoma [71]
Discover Airlines Frankfurt [72]
Edelweiss Air Zürich [73]
Frontier Airlines Atlanta, Boston,[74] Buffalo, Burlington (VT),[75] Cancún,[76] Charlotte,[77] Chicago–Midway, Chicago–O'Hare, Cincinnati, Cleveland, Dallas/Fort Worth, Denver, Hartford, Kansas City (begins October 11, 2025),[78] Long Island/Islip, New York–JFK,[79] Philadelphia, Portland (ME), Raleigh/Durham, San Juan, St. Louis (resumes October 11, 2025),[80] Trenton, Washington–Dulles[81]
Seasonal: Baltimore,[82] Grand Rapids, Houston–Intercontinental, Indianapolis,[83] Milwaukee, Phoenix–Sky Harbor, Punta Cana, Santo Domingo–Las Américas,
[84]
JetBlue Boston, Cancún, Fort Lauderdale (begins December 4, 2025),[85] Hartford, New York–JFK, New York–LaGuardia,[86] Newark, Providence, Punta Cana (begins December 18, 2025),[87] San Juan, White Plains
Seasonal: Long Island/Islip (begins December 19, 2025)[87]
[88]
Porter Airlines Seasonal: Halifax,[89] Ottawa,[89] Toronto–Pearson [90]
Southwest Airlines Albany, Atlanta, Austin, Baltimore, Birmingham (AL), Buffalo, Chicago–Midway, Columbus–Glenn, Dallas–Love, Denver, Fort Lauderdale, Hartford, Havana, Houston–Hobby, Indianapolis, Kansas City, Las Vegas, Long Island/Islip, Louisville, Milwaukee, Nashville, New Orleans, Philadelphia, Phoenix–Sky Harbor, Pittsburgh, Providence, Raleigh/Durham, Rochester (NY), San Antonio, San Juan, St. Louis, Washington–National
Seasonal: Cincinnati, Cleveland, Detroit, Grand Rapids, Manchester (NH), Memphis, Minneapolis/St. Paul, Omaha, Salt Lake City, San Diego
[91]
Spirit Airlines Atlanta, Atlantic City, Charlotte,[92] Chicago–O'Hare, Detroit, Fort Lauderdale, Houston–Intercontinental, Indianapolis, Kansas City, Las Vegas, Memphis, Milwaukee,[93] Minneapolis/St. Paul, New Orleans, Pittsburgh
Seasonal: Boston,, Dallas/Fort Worth,[94] Louisville, Norfolk, Philadelphia, Richmond, San Antonio,[95] San Juan[96]
[97][92]
Sun Country Airlines Minneapolis/St. Paul [98]
United Airlines Chicago–O'Hare, Denver, Houston–Intercontinental, Los Angeles, Newark, San Francisco, Washington–Dulles
Seasonal: Cleveland
[99]
Virgin Atlantic London–Heathrow [100]
WestJet Calgary, Toronto–Pearson
Seasonal: St. John's,[101] Vancouver[102]
[103]

Cargo

AirlinesDestinations
FedEx Express Indianapolis, Memphis, Atlanta
UPS Airlines Dallas/Fort Worth, Louisville, Ontario (CA), Orlando, Philadelphia
Seasonal: Miami, San Juan

Statistics

Passenger traffic

Annual passenger traffic at TPA airport. See Wikidata query.

Annual traffic

Tampa Int'l Airport Annual Passengers 2012–Present[104]
Year Passengers % Change
2012 16,820,859
2013 16,920,093 Increase0.59%
2014 17,552,707 Increase3.74%
2015 18,815,425 Increase7.19%
2016 18,931,922 Increase0.62%
2017 19,624,284 Increase3.66%
2018 21,289,390 Increase8.48%
2019 22,497,953 Increase5.68%
2020 10,238,151 Decrease-54.49%
2021 18,115,213 Increase76.94%
2022 21,528,249 Increase18.84%
2023 23,948,889 Increase11.24%
2024 24,756,631 Increase3.37%

Airline market share

Largest airlines at TPA
(June 2024 – May 2025)[105]
Rank Carrier Passengers Share
1 Southwest Airlines 5,613,000 25.25%
2 Delta Air Lines 4,020,000 18.08%
3 American Airlines 3,511,000 15.79%
4 United Airlines 2,403,000 10.81%
5 Frontier Airlines 2,197,000 9.88%
Other 4,486,000 20.18%

Top destinations

Busiest domestic routes from TPA (June 2024 – May 2025)[105]
Rank City Passengers Carriers
1 Georgia (U.S. state) Atlanta, Georgia 1,005,420 Delta, Frontier, Southwest, Spirit
2 North Carolina Charlotte, North Carolina 516,140 American, Spirit
3 Colorado Denver, Colorado 463,560 Frontier, Southwest, United
4 Illinois Chicago–O'Hare, Illinois 449,630 American, Frontier, Spirit, United
5 Texas Dallas/Fort Worth, Texas 435,590 American, Spirit
6 New Jersey Newark, New Jersey 403,980 JetBlue, United
7 Pennsylvania Philadelphia, Pennsylvania 389,900 American, Frontier, Spirit
8 Massachusetts Boston, Massachusetts 387,190 Delta, JetBlue, Spirit
9 Michigan Detroit, Michigan 354,660 Delta, Southwest, Spirit
10 Maryland Baltimore, Maryland 350,460 Frontier, Southwest, Spirit
Busiest international routes from TPA (2023)[106]
Rank City Passengers Carriers
1 Canada Toronto–Pearson, Canada 281,281 Air Canada, Air Canada Rouge, Lynx, Porter, WestJet
2 United Kingdom London–Gatwick, United Kingdom 156,501 British Airways
3 United Kingdom London–Heathrow, United Kingdom 132,535 Virgin Atlantic
4 Germany Frankfurt, Germany 112,951 Discover Airlines
5 Mexico Cancún, Mexico 110,170 Frontier, JetBlue
6 Cuba Havana, Cuba 95,553 Southwest
7 Panama Panama City–Tocumen, Panama 63,084 Copa
8 Canada Montréal–Trudeau, Canada 61,077 Air Canada, Air Canada Rouge
9 Cayman Islands George Town, Cayman Islands 46,602 Cayman Airways
10 Switzerland Zürich, Switzerland 37,154 Edelweiss

Accidents and incidents

  • On March 9, 1943, five USAAF flight crew were killed when their Martin B-26 Marauder crashed on a flight from Avon Park Auxiliary Field to Eglin Field. The pilot attempted an emergency landing at Drew Field and overshot the runway. Two others on board the B-26 survived. This occurred one hour after a USAAF Douglas A-24 flying out of Drew Field crashed in Mullet Key near St. Petersburg, a bombing range at the time. The pilot ditched the airplane and lived, but the gunner bailed out and drowned.[6][107]
  • On August 5, 1969, a passenger on an Eastern Air Lines McDonnell Douglas DC-9 on Flight 379 from Charlotte was arrested upon arrival after he entered the cockpit en route and told the pilot, "Let's go to Cuba"; the pilot said there wasn't enough fuel so the passenger returned to his seat. The hijacker later claimed he "wanted to see if he had the nerve to simulate a hijacking" and did not want to actually go to Cuba.[108]
  • On September 25, 1973, a Rockwell 1121B Jet Commander (N200RC) owned by Continental Jet Corp. was damaged beyond repair in a hangar fire.[109]
  • On November 6, 1986, an Eastern Air Lines captain, George Baines, age 56, was flying in his private aircraft, a Piper PA-23 Apache, (registration N2185P) from his home to Tampa International Airport to catch a flight. Captain Baines was cleared for an instrument landing system approach to runway 36L (now 1L) with 116-mile (0.10 km) visibility in dense fog. He was unable to land during his first approach and declared a missed approach and executed a go-around to try again. On the second approach, the Apache touched down on taxiway W, parallel to and about 406 feet (124 m) to the right (east) of runway 36L. At the same time, a Pan American Boeing B-727 was proceeding southbound on taxiway W. When the captain of the Pan-Am 727 saw the Apache emerge from the dense fog directly in front of him, he turned to the right (west) in an attempt to avoid the impending collision. About two seconds later, the Apache's left engine struck the B-727 in the radome, which is a structural, weatherproof enclosure that protects a radar antenna. Two passengers and a flight attendant were injured after they evacuated the aircraft. The Apache was almost destroyed and the pilot, the sole occupant of the aircraft, was killed. The primary causes of this accident was determined by the NTSB to include the pilot's decision to continue his approach below decision height when the visibility was below landing minimums and the adequacy of current Federal regulations that allow pilots operating under Part 91 to conduct approaches when the reported visibility is below published minimum visibility for land.[110]
  • On December 1, 1993, a Cessna 650 Citation III (N700RR) operated by Consolidated International Services Inc. was landing when it collided with a cement pad while taxiing back to the grass taxiway, collapsing the nose gear. The plane had just arrived from a 2 hour 15 minute flight from Morristown, New Jersey. The cause was determined to be the pilot's decision to leave the taxiway with improper wiring of the anti-skid system. The plane was later repaired.[111]
  • On April 2, 2017, an Air Canada Jetz Airbus A319-114 (C-GBHN) was struck while parked by a motor coach during pre-departure setup for Flight 7042 to Fort Lauderdale. Substantial damage occurred on the port side of the fuselage and the left outer flap track. No injuries occurred onboard; the flight was cancelled. The aircraft was later repaired.[112]

See also

References

Public Domain This article incorporates public domain material from the Air Force Historical Research Agency

  1. ^ a b c FAA Airport Form 5010 for TPA PDF, effective May 15, 2025.
  2. ^ "Tampa International Airport". Geographic Names Information System. United States Geological Survey, United States Department of the Interior. August 1, 1994.
  3. ^ "TPA Airport Statistics for 2024" (PDF). tampaairport.com. Retrieved February 6, 2025.
  4. ^ "US Nonstop Destinations". Tampa International Airport. Retrieved July 3, 2022.
  5. ^ Brown, Warren J. (1994). Florida's Aviation History. Largo, Florida: Aero-Medical Consultants. p. 56. ISBN 0-912522-70-4.
  6. ^ a b Dead Listed in Drew Field Crash Archived March 5, 2017, at the Wayback Machine St. Petersburg Times, March 11, 1943
  7. ^ Drew Field Sets Safety Record Archived March 5, 2017, at the Wayback Machine Saint Petersburg Times, September 30, 1945
  8. ^ "Drew Field Municipal Airport History". Archived from the original on January 6, 2013.
  9. ^ "Tampa Airport Captures Excellent Structure Award". Evening Independent. September 27, 1972. Archived from the original on March 5, 2017. Retrieved June 16, 2012.
  10. ^ a b "Landside/Airside Terminal 1961–1979". Juan's Tampa International Airport Page. Retrieved October 26, 2021.
  11. ^ "'New' Tampa International Airport Opened 50 Years Ago. Here's what it was like". Tampa Bay Times. April 15, 2021. Retrieved May 13, 2022.
  12. ^ Knapp, Pat Matson; Turner, Tracy (November 7, 2013). "Jane Davis Doggett: Environmental Graphics Pioneer". Eg Experiential Graphics Magazine (7): 50. Archived from the original on January 14, 2015. Retrieved April 7, 2014.
  13. ^ Conniff, James C. G. (March 30, 1975). "Danger: Signs Ahead". New York Times Magazine. p. 36.
  14. ^ Calise, Gabrielle (April 15, 2021). "'New' Tampa International Airport opened 50 years ago. Here's what it was like". Tampa Bay Times. Retrieved May 12, 2022.
  15. ^ "Orlando International Airport: The story of MCO's past and present terminal building". Golldiecat's Airport-Page. Retrieved February 16, 2022.
  16. ^ "Landside/Airside Terminal 1980–1999". Juan's Tampa International Airport Page. Retrieved October 26, 2021.
  17. ^ "Landside/Airside Terminal 2000–Present". Juan's Tampa International Airport Page. Retrieved October 26, 2021.
  18. ^ "Airside D at TPA". Tampa International Airport. Retrieved January 10, 2025.
  19. ^ "Pemco". Pemcoair.com. December 16, 2009. Archived from the original on March 3, 2012. Retrieved November 27, 2012.
  20. ^ "Pemco expands operations" (PDF). www.tampaairport.com. Archived from the original (PDF) on November 29, 2010. Retrieved October 23, 2015.
  21. ^ St. Petersburg Times, A New Day for Parking. Archived November 25, 2005, at the Wayback Machine
  22. ^ "Homepage – Tampa International Airport". www.tampaairport.com. Archived from the original on June 21, 2003. Retrieved July 7, 2003.
  23. ^ TBO.com (March 7, 2011). "Tampa International gets federal OK for charter flights to Cuba". TBO.com. Archived from the original on March 14, 2011. Retrieved November 27, 2012.
  24. ^ "TIA To Open for Cuba Charter Flights | Representative Kathy Castor". Castor.house.gov. January 14, 2011. Archived from the original on July 22, 2011. Retrieved November 27, 2012.
  25. ^ Rane, Jordan. "10 of the world's most loved airports". CNNGo. Archived from the original on December 3, 2011. Retrieved December 1, 2011.
  26. ^ "The 10 Best Airport in the U.S." Condé Nast. October 26, 2016. Archived from the original on April 18, 2017. Retrieved April 17, 2017.
  27. ^ "TPA named best airport in North America for its size". tampaairport. Archived from the original on February 14, 2022. Retrieved February 14, 2022.
  28. ^ "Travel+Leisure Best US Airports, According to T+L Readers". travelandleisure.com. Retrieved July 10, 2024.
  29. ^ "Tampa International Airport CEO Retires". www.travelmarketreport.com. February 2, 2024. Retrieved February 2, 2024.
  30. ^ Lacey, Derek. "Work Starts on $1.5B Airside D at Tampa International Airport". ENRSoutheast. Retrieved January 10, 2025.
  31. ^ Striepling, Bailey (December 18, 2024). "TPA's largest airside expansion in 2 decades breaks ground". abc7. Retrieved January 10, 2025.
  32. ^ "Airside D anchor tenant selected by Hillsborough County Aviation Authority". Tampa International Airport. February 3, 2025. Retrieved February 4, 2025.
  33. ^ Tampa International Airport, History Archived February 25, 2009, at the Wayback Machine
  34. ^ a b c d e "Tampa International Airport Maps". Retrieved July 3, 2022.
  35. ^ Roger Sandoval. "TPA | Shops and Restaurants | Airside E". Tampaairport.com. Archived from the original on November 11, 2012. Retrieved November 27, 2012.
  36. ^ Roger Sandoval. "TPA | Shops and Restaurants | Airside F". Tampaairport.com. Archived from the original on December 20, 2012. Retrieved November 27, 2012.
  37. ^ "Tampa Airport to start Phase 3 of Master Plan". Future Travel Experience. January 2023. Retrieved January 10, 2025.
  38. ^ a b c d "Airlines at TPA". Tampa International Airport. Retrieved May 13, 2025.
  39. ^ "Tampa International Airport Airside D". Hensel Phelps. Retrieved January 10, 2025.
  40. ^ "TPA Airside F and FIS Expansion". Corgan. Retrieved May 13, 2025.
  41. ^ "TPA airport data at skyvector.com". skyvector.com. FAA data effective May 15, 2025.
  42. ^ "GA newsletter fall 2010" (PDF). www.tampaairport.com. Archived from the original (PDF) on March 4, 2012. Retrieved October 23, 2015.
  43. ^ "Master Plan Facts – Tampa International Airport". www.tampaairport.com. Archived from the original on January 30, 2016. Retrieved January 23, 2016.
  44. ^ "Aeromexico Already Up-Gauging TPA-MEX". August 2, 2024.
  45. ^ https://media.aircanada.com/2024-12-02-Air-Canada-Rolls-Out-Comprehensive-Transborder-Schedule-from-YVR-for-Summer-2025
  46. ^ "Air Canada NW25 US Service Changes – 25MAY25". Aeroroutes. Retrieved May 28, 2025.
  47. ^ a b "Air Canada - Flight Schedules". Retrieved July 4, 2022.
  48. ^ "Alaska Airlines Flight Schedules". Retrieved July 4, 2022.
  49. ^ "American adds cool new Caribbean destination, cuts Miami transcon route in big network update". MSN (Press release). Retrieved July 26, 2024.
  50. ^ "Flight schedules and notifications". American Airlines. Archived from the original on February 2, 2017. Retrieved May 3, 2017.
  51. ^ "Flight schedules and notifications". Retrieved June 25, 2025.
  52. ^ "Destinations | Avelo". Aveloair.com. Archived from the original on July 15, 2021. Retrieved February 20, 2022.
  53. ^ "Avianca begins sale of three new routes to the U.S." aviacionaldia.com. Retrieved January 8, 2025.
  54. ^ "Escape to Florida: Airline adds new options from Maine". WMTV. March 26, 2024. Retrieved March 26, 2024.
  55. ^ "Breeze Adds Two New Nonstop Routes, Bringing Back Another". Airline Geeks. July 8, 2025. Retrieved July 8, 2025.
  56. ^ a b "Breeze Airways Announces 11 New Routes and 3 New Cities". January 23, 2024. Retrieved January 23, 2024.
  57. ^ "Breeze Adds 70th Destination". Airline Geeks. March 11, 2025. Retrieved March 11, 2025.
  58. ^ a b c "Breeze Airways Expands Across the United States with New Routes to Fort Lauderdale, Salisbury, Akron-Canton, Daytona Beach, Jacksonville, Key West, Pensacola, and More Starting This Fall". Travel and Tour World. May 7, 2025. Retrieved May 7, 2025.
  59. ^ Davis, Corey. "Breeze Airways is coming to Memphis airport. Flights to 3 destinations to start this spring". Commercial Appeal. Retrieved February 5, 2025.
  60. ^ "Breeze Airways to offer new nonstop service from Tampa to Vermont, adds 4 total routes". FOX13TampaBay. November 8, 2023. Retrieved November 8, 2023.
  61. ^ https://www.nola.com/news/business/msy-tpa-breeze-new-route/article_05e3d566-0368-11f0-b3ef-bb8400d4a83a.html
  62. ^ "Pensacola International Airport announces service to Norfolk, Tampa with Breeze Airways". March 26, 2024.
  63. ^ "Direct flights to Tampa from Luzerne County announced". WNEP. June 25, 2024. Retrieved June 25, 2024.
  64. ^ "Breeze Airways adds new service to Florida from Erie airport". YourErie.com. Retrieved October 1, 2024.
  65. ^ "Breeze Airways Destinations". Archived from the original on April 15, 2022. Retrieved April 26, 2022.
  66. ^ "British Airways – Timetables". Archived from the original on February 27, 2017. Retrieved March 31, 2018.
  67. ^ "Cayman Airways Flights Schedule". Archived from the original on March 5, 2018. Retrieved March 31, 2018.
  68. ^ "Flight Schedule". Archived from the original on August 10, 2017. Retrieved March 31, 2018.
  69. ^ "Delta to keep its Tampa to Amsterdam flights year-round". WFLA News. November 18, 2024. Retrieved November 18, 2024.
  70. ^ "Delta Air Lines to Add More New Austin Routes, Including Service to Indianapolis, Memphis, San Francisco, Tampa".
  71. ^ "FLIGHT SCHEDULES". Archived from the original on April 22, 2025. Retrieved May 26, 2025.
  72. ^ "TPA welcomes A350 with Finnair operating Eurowings Discover flights through October". Archived from the original on September 30, 2021. Retrieved May 31, 2022.
  73. ^ "Timetable". Archived from the original on January 14, 2018. Retrieved March 31, 2018.
  74. ^ "Frontier Airlines Announces 22 New Routes Launching in December". Frontier Airlines Announces 22 New Routes Launching in December.,
  75. ^ D'Ambrosio, Dan. "Frontier Airlines returns to Burlington airport with weekly flights to Florida". Burlington Free Press.
  76. ^ https://news.flyfrontier.com/frontier-airlines-begins-service--from-tampa-to-cancun/
  77. ^ https://www.bizjournals.com/tampabay/news/2025/02/03/frontier-airlines-nonstop-route-tampa.html?csrc=6398&taid=67a1193c80b4da00016d384f&utm_campaign=trueAnthemTrendingContent&utm_medium=trueAnthem&utm_source=twitter
  78. ^ https://www.travelandtourworld.com/news/article/frontier-airlines-unveils-fifteen-new-routes-to-popular-us-destinations-including-corpus-christi-richmond-tulsa-omaha-dallas-el-paso-phoenix-and-more-starting-in-october-2025/
  79. ^ "Frontier Airlines Unveils New Routes for Fall". Travel Pulse. Retrieved August 27, 2024.
  80. ^ https://news.flyfrontier.com/frontier-airlines-continues-network-growth-with-15-new-routes-launching-fall-2025/
  81. ^ https://www.bizjournals.com/washington/news/2024/10/01/frontier-airlines-dulles-airport-tampa.html
  82. ^ "Frontier Airlines Announces Major Domestic and International Expansion of Service". Frontier Airlines Announces Major Domestic and International Expansion of Service.
  83. ^ "Frontier Airlines 1Q25 Various Network Resumptions". Aeroroutes. Retrieved November 20, 2024.
  84. ^ "Frontier". Archived from the original on September 12, 2017. Retrieved March 31, 2018.
  85. ^ "Jetblue Strengthens Fort Lauderdale With New Flights". Airways Magazine. July 23, 2025.
  86. ^ "JetBlue Enhances Summer Travel with New Routes and Destinations, Strengthening its East Coast Network". Business Wire. January 15, 2025.
  87. ^ a b "JetBlue Expands Route Network With New Flights to Florida and Caribbean". Travel Pulse. August 14, 2025. Retrieved August 14, 2025.
  88. ^ "JetBlue Airlines Timetable". Archived from the original on July 13, 2013. Retrieved March 31, 2018.
  89. ^ a b "Porter More Than Doubles Capacity to Five Florida Destinations This Winter, Adds West Palm Beach Service". Business Wire. June 26, 2024.
  90. ^ "Where We Fly". Porter Airlines.
  91. ^ "Southwest Airlines Route Map". Archived from the original on August 30, 2018. Retrieved August 31, 2018.
  92. ^ a b Queen, Henry (August 31, 2023). "Spirit adds nonstop flights from Tampa to Charlotte and three other cities".
  93. ^ "Spirit Airlines March 2024 Tampa Network Expansion". Aeroroutes. Retrieved February 5, 2024.
  94. ^ "Spirit Airlines NS25 Network Additions – 09MAR25". Aeroroutes. Retrieved March 10, 2025.
  95. ^ https://www.ksat.com/news/local/2025/01/03/spirit-airlines-expands-destination-options-for-spring-break-travel/
  96. ^ https://www.travelandtourworld.com/news/article/san-juan-puerto-rico-miami-and-more-connected-by-spirit-airlines-for-spring-break/
  97. ^ "Where We Fly". Spirit Airlines. Archived from the original on December 23, 2017. Retrieved March 31, 2018.
  98. ^ "Route Map & Flight Schedule". Archived from the original on August 15, 2018. Retrieved March 31, 2018.
  99. ^ "United Airlines Flight Status". Retrieved July 4, 2022.
  100. ^ "Virgin Atlantic continues US expansion with new Tampa service".
  101. ^ "WestJet unveils winter schedule and celebrates renewed commitment to St. John's". www.newswire.ca. WESTJET, an Alberta Partnership.
  102. ^ "WestJet NS25 Network Expansion". AeroRoutes. November 15, 2024. Retrieved November 15, 2024.
  103. ^ "Flight schedules". Archived from the original on February 10, 2017. Retrieved March 31, 2018.
  104. ^ "Tampa Int'l Airport Activity Reports 2012-Present". tampaairport.com. Retrieved June 10, 2024.
  105. ^ a b "RITA | BTS | Transtats". transtats.bts.gov. Retrieved August 28, 2024.
  106. ^ U.S. International Air Passenger and Freight Statistics Report (Report). Washington: Office of Aviation Policy, U.S. Department of Transportation. July 2018. Archived from the original on June 15, 2018. Retrieved July 3, 2018.
  107. ^ Five Are Killed As Bombers Crash Archived March 5, 2017, at the Wayback Machine The Evening Independent, March 10, 1943
  108. ^ "ASN Aircraft accident McDonnell Douglas DC-9 registration unknown Tampa International Airport, FL (TPA)". aviation-safety.net. Retrieved February 4, 2023.
  109. ^ "ASN Aircraft accident Rockwell 1121B Jet Commander N200RC Tampa International Airport, FL (TPA)". aviation-safety.net. Retrieved February 4, 2023.
  110. ^ "Aircraft Accident Report – NTSB" (PDF). www.ntsb.gov. 2015-10-23. Archived (PDF) from the original on March 30, 2016.
  111. ^ "ASN Aircraft accident Cessna 650 Citation III N700RR Tampa International Airport, FL (TPA)". aviation-safety.net. Retrieved February 4, 2023.
  112. ^ "ASN Aircraft accident Airbus A319-114 C-GBHN Tampa International Airport, FL (TPA)". aviation-safety.net. Retrieved February 4, 2023.